1. Home
  2. Facial slimming / Thread Lift
  3. Thread Lift
  4. Case Details No.00360

Case Details

No.00360

Thread Lift

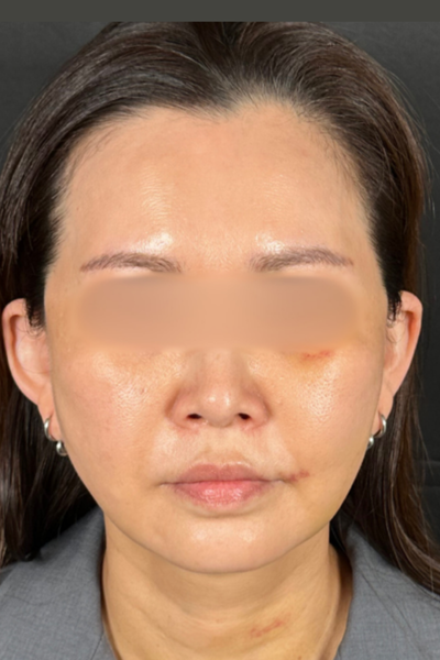
Condition of the Area

  • Facial sagging
  • Nasolabial folds

Patient’s Request

  • #Thread Lift/VOV
  • #Liposuction
  • Before
    Preoperative Condition Part 1
  • Before
    Preoperative Condition Part 1
  • Before
    Preoperative Condition Part 1
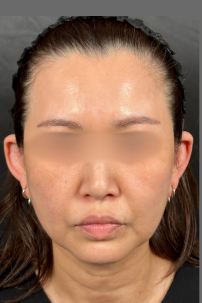
  • After
    Postoperative Condition Part 1
  • After
    Postoperative Condition Part 1
  • After
    Postoperative Condition Part 1
  • Procedure Name
    Thread Lift/VOV 20 threads + Mailer Fat Removal + Liposuction (Both cheeks / under chin)
  • Procedure / Risks
    【Thread Lift】
    ・Regular Price: ¥236,000〜¥597,600
    ・Number of procedures / 1
    ・Treatment Details: A procedure aimed at improving sagging in the cheeks and jawline.
    ・Risks & Side Effects: Swelling and pain lasting 2 days to 1 week, bruising lasting 1 to 2 weeks. ※private medical care

    【Buccal Fat, Jowl Fat, and Malar Fat Removal】
    ・Regular Price: ¥200,000 each
    ・Number of procedures / 1
    ・Treatment Details: Removal of buccal fat, a cause of sagging and heavy facial contours, to achieve a more defined facial appearance.
    ・Risks & Side Effects: Fatigue, warmth, headache, hives, itching, swelling, fever, cough, cold sweats, chest pain, asymmetry, indentations, sunken cheeks, skin sagging, etc. ※private medical care

    【Liposuction (Cheeks and Under Chin)】
    ・Regular Price: ¥400,000
    ・Number of procedures / 1
    ・Treatment Details: A procedure that removes fat cells from the concerned areas with excess fat for contouring.
    ・Risks & Side Effects: Fatigue, warmth, headache, hives, itching, swelling, fever, cough, cold sweats, chest pain, hardened or uneven skin at suction sites, sensory numbness at the treated area, skin pigmentation, etc. ※private medical care
  • Doctor
    Koushoku Sai

Post OP Progress

Before

  • Postoperative Condition Part 1
  • Postoperative Condition Part 1
  • Postoperative Condition Part 1

Right After surgery

  • Postoperative Condition Part 1
  • Postoperative Condition Part 1
  • Postoperative Condition Part 1

After 1 week (with NO makeup)

  • Postoperative Condition Part 1
  • Postoperative Condition Part 1
  • Postoperative Condition Part 1

After 1 week (with makeup)

  • Postoperative Condition Part 1
  • Postoperative Condition Part 1
  • Postoperative Condition Part 1

After 1 month (with NO makeup)

  • Postoperative Condition Part 1
  • Postoperative Condition Part 1
  • Postoperative Condition Part 1