1. トップページヘ
  2. 小顔(糸リフト・顔の脂肪吸引) / 顔の脂肪吸引(顎下・頬)
  3. 脂肪吸引
  4. 症例詳細No.00361

症例詳細

No.00361

脂肪吸引

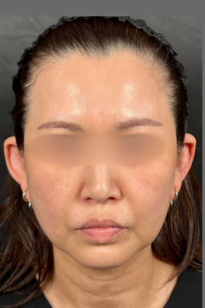
患部の状態

  • 顔のたるみ
  • ほうれい線
  • 頬のたるみ

本人のご要望

  • #糸リフトVOV
  • #脂肪吸引
  • Before
    手術前の状態 その1
  • Before
    手術前の状態 その1
  • Before
    手術前の状態 その1
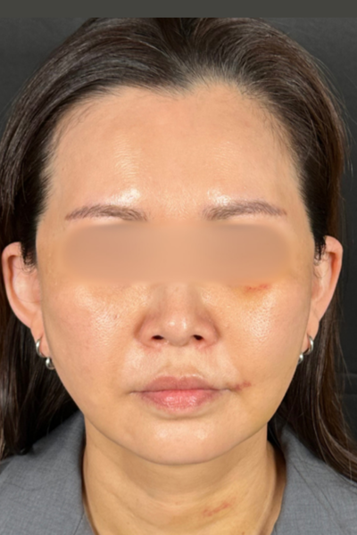
  • After
    手術後の状態 その1
  • After
    手術後の状態 その1
  • After
    手術後の状態 その1
  • 施術名
    糸リフト/VOV16本+メーラーファット除去+脂肪吸引(両頬・顎下)
  • 施術内容・
    リスク
    【糸リフト】
    ▪︎通常価格 / ¥236,000〜¥597,600
    ▪︎治療回数 / 1回
    ▪︎治療内容 / 頬、フェイスラインのたるみの改善を図る目的とした施術です。
    ▪︎リスク・副作用について / 腫れ・痛み:2日〜1週間程度/内出血:1〜2週間程度 ※自由診療

    【バッカルファット・ジョールファット・メーラーファット除去】
    ▪︎通常価格 / 各¥200,000
    ▪︎治療回数 / 1回
    ▪︎治療内容 / 頬部のたるみや重くボテっとした輪郭の原因の一つである、バッカルファットを切除することにより、スッキリとした輪郭を目指します。
    ▪︎リスク・副作用について / だるさ・熱感・頭痛・蕁麻疹・痒み・むくみ・発熱・咳・冷や汗・胸痛・左右差・へこみ、頬がこける、皮膚がたるむなど ※自由診療

    【脂肪吸引(両頬・顎下)】
    ▪︎通常価格 / ¥400,000
    ▪︎治療内容 / 脂肪が多くついている部位・気になる部位から脂肪細胞を吸引する施術です。
    ▪︎リスク・副作用について / だるさ・熱・頭痛・蕁麻疹・痒み・むくみ・発熱・咳・冷や汗・胸痛・吸引部の皮膚が硬くなる・凹凸になる・施術箇所の知覚の麻痺・鈍さ、しびれ・皮膚の色素沈着など ※自由診療
  • ドクター
    崔 煌植

術後経過

施術前

  • 手術前の状態 その1
  • 手術前の状態 その1
  • 手術前の状態 その1

施術直後

  • 手術前の状態 その1
  • 手術前の状態 その1
  • 手術前の状態 その1

施術1週間後(メイクなし)

  • 手術前の状態 その1
  • 手術前の状態 その1
  • 手術前の状態 その1

施術1週間後(メイクあり)

  • 手術前の状態 その1
  • 手術前の状態 その1
  • 手術前の状態 その1

施術1ヶ月後(メイクあり)

  • 手術前の状態 その1
  • 手術前の状態 その1
  • 手術前の状態 その1