1. トップページヘ
  2. 小顔(糸リフト・顔の脂肪吸引) / ヒアルロン酸
  3. ヒアルロン酸
  4. 症例詳細No.00814

症例詳細

No.00814

ヒアルロン酸

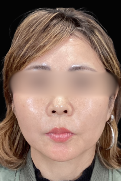
患部の状態

  • フェイスラインのもたつき
  • 顔のたるみ

本人のご要望

  • #ヒアルロン酸
  • #糸リフト
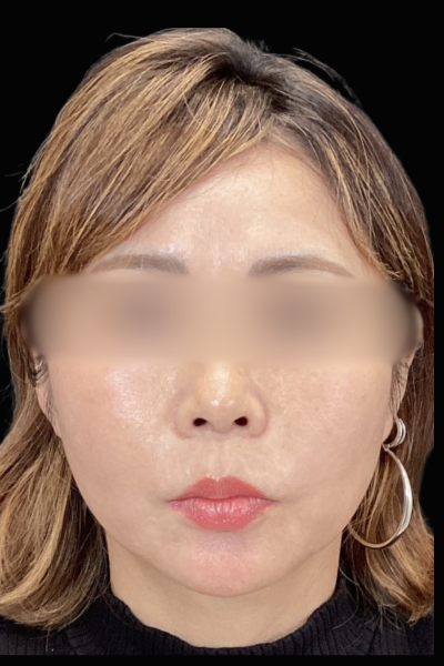
  • Before
    手術前の状態 その1
  • Before
    手術前の状態 その1
  • Before
    手術前の状態 その1
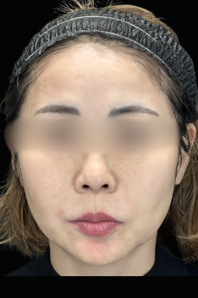
  • After
    手術後の状態 その1
  • After
    手術後の状態 その1
  • After
    手術後の状態 その1
  • 施術名
    AND 式糸リフト詰め放題プラン(プレミアム)+ヒアルロン酸
  • 施術内容・
    リスク
    【糸リフト】
    ▪︎通常価格 / ¥236,000〜¥597,600
    ▪︎治療回数 / 1回
    ▪︎治療内容 / 頬、フェイスラインのたるみの改善を図る目的とした施術です。
    ▪︎リスク・副作用について / 腫れ・痛み:2日〜1週間程度/内出血:1〜2週間程度 ※自由診療

    【ヒアルロン酸注入】
    ▪︎通常価格 / アラガン製1ccあたり ¥77,000 韓国製1ccあたり ¥38,500
    ▪︎治療回数 / 1回
    ▪︎治療内容 / しわや窪み、輪郭の改善を図ることを目的とした施術です。
    ▪︎リスク・副作用について / 疼痛・腫れ・内出血・血管閉塞・アレルギー・感染・硬結など ※自由診療
  • ドクター
    金子 昌憲

術後経過

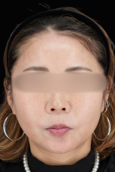
施術前

  • 手術前の状態 その1
  • 手術前の状態 その1
  • 手術前の状態 その1

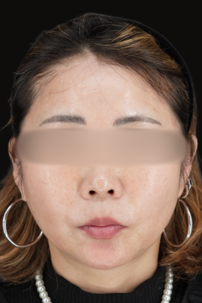
施術直後

  • 手術前の状態 その1
  • 手術前の状態 その1
  • 手術前の状態 その1

施術1週間後(メイクなし)

  • 手術前の状態 その1
  • 手術前の状態 その1
  • 手術前の状態 その1

施術1週間後(メイクあり)

  • 手術前の状態 その1
  • 手術前の状態 その1
  • 手術前の状態 その1

施術1ヶ月後(メイクなし)

  • 手術前の状態 その1
  • 手術前の状態 その1
  • 手術前の状態 その1

施術1ヶ月後(メイクあり)

  • 手術前の状態 その1
  • 手術前の状態 その1
  • 手術前の状態 その1