1. トップページヘ
  2. 小顔(糸リフト・顔の脂肪吸引) / 顔の脂肪吸引(顎下・頬)

顔の脂肪吸引(顎下・頬)

絞り込み検索

1~4件を表示:全4件

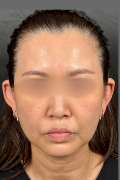
女性 30代

No.00710

患部の状態

  • フェイスラインのもたつき
  • 顔のたるみ

本人のご要望

  • #脂肪吸引
  • Before
    手術前の状態
  • Before
    手術前の状態
  • Before
    手術前の状態
  • After
    手術後の状態 その1
  • After
    手術後の状態 その1
  • After
    手術後の状態 その1

施術内容・リスク

  • 施術内容・
    リスク
    【脂肪注入】
    ▪︎通常価格 / 1部位 ¥300,000
    ▪︎治療回数 / 1回
    ▪︎治療内容 / 自身から採取した脂肪を気になる深いシワやくぼみ・凹みに注入することで肌にハリを持たせ改善させる方法です。
    ▪︎リスク・副作用について / だるさ・熱感・頭痛・蕁麻疹・痒み・むくみ・発熱・咳・冷や汗・胸痛・吸引部の皮膚が硬くなる、
    凹凸になる・施術箇所の知覚の麻痺・鈍さ、しびれ・皮膚の色素沈着などを生じることがあります。 ※自由診療

女性 40代

No.00361

患部の状態

  • 顔のたるみ
  • ほうれい線
  • 頬のたるみ

本人のご要望

  • #糸リフトVOV
  • #脂肪吸引
  • Before
    手術前の状態
  • Before
    手術前の状態
  • Before
    手術前の状態
  • After
    手術後の状態 その1
  • After
    手術後の状態 その1
  • After
    手術後の状態 その1

施術内容・リスク

  • 施術内容・
    リスク
    【糸リフト】
    ▪︎通常価格 / ¥236,000〜¥597,600
    ▪︎治療回数 / 1回
    ▪︎治療内容 / 頬、フェイスラインのたるみの改善を図る目的とした施術です。
    ▪︎リスク・副作用について / 腫れ・痛み:2日〜1週間程度/内出血:1〜2週間程度 ※自由診療

    【バッカルファット・ジョールファット・メーラーファット除去】
    ▪︎通常価格 / 各¥200,000
    ▪︎治療回数 / 1回
    ▪︎治療内容 / 頬部のたるみや重くボテっとした輪郭の原因の一つである、バッカルファットを切除することにより、スッキリとした輪郭を目指します。
    ▪︎リスク・副作用について / だるさ・熱感・頭痛・蕁麻疹・痒み・むくみ・発熱・咳・冷や汗・胸痛・左右差・へこみ、頬がこける、皮膚がたるむなど ※自由診療

    【脂肪吸引(両頬・顎下)】
    ▪︎通常価格 / ¥400,000
    ▪︎治療内容 / 脂肪が多くついている部位・気になる部位から脂肪細胞を吸引する施術です。
    ▪︎リスク・副作用について / だるさ・熱・頭痛・蕁麻疹・痒み・むくみ・発熱・咳・冷や汗・胸痛・吸引部の皮膚が硬くなる・凹凸になる・施術箇所の知覚の麻痺・鈍さ、しびれ・皮膚の色素沈着など ※自由診療

女性 40代

No.00338

患部の状態

  • ほうれい線
  • 頬のたるみ

本人のご要望

  • #糸リフトPDO
  • #脂肪吸引
  • #ボトックス
  • Before
    手術前の状態
  • Before
    手術前の状態
  • Before
    手術前の状態
  • After
    手術後の状態 その1
  • After
    手術後の状態 その1
  • After
    手術後の状態 その1

施術内容・リスク

  • 施術内容・
    リスク
    【糸リフト】
    ▪︎通常価格 / ¥236,000〜¥597,600
    ▪︎治療回数 / 1回
    ▪︎治療内容 / 頬、フェイスラインのたるみの改善を図る目的とした施術です。
    ▪︎リスク・副作用について / 腫れ・痛み:2日〜1週間程度/内出血:1〜2週間程度 ※自由診療

    【ボトックス】
    ▪︎通常価格 / アラガン製1ccあたり / ¥7,800
    ▪︎治療回数 / 1回
    ▪︎治療内容 / 筋肉を一 時的にリラックスさせ、表情じわの改善やエラの収縮、肩こり症状の改善を図る目的とした施術です。
    ▪︎リスク・副作用について / 疼痛・腫れ・内出血・アレルギー・表情に違和感など ※自由診療

    【脂肪吸引(両頬・顎下)】
    ▪︎通常価格 / ¥400,000
    ▪︎治療内容 / 脂肪が多くついている部位・気になる部位から脂肪細胞を吸引する施術です。
    ▪︎リスク・副作用について / だるさ・熱・頭痛・蕁麻疹・痒み・むくみ・発熱・咳・冷や汗・胸痛・吸引部の皮膚が硬くなる・凹凸になる・施術箇所の知覚の麻痺・鈍さ、しびれ・皮膚の色素沈着など ※自由診療

女性 30代

No.00076

患部の状態

  • 頬のたるみ

本人のご要望

  • #フェイスラインをスッキリさせる
  • #脂肪吸引
  • Before
    手術前の状態
  • Before
    手術前の状態
  • Before
    手術前の状態
  • After
    手術後の状態 その1
  • After
    手術後の状態 その1
  • After
    手術後の状態 その1

施術内容・リスク

  • 施術内容・
    リスク
    だるさ・熱・頭痛・蕁麻疹・痒み・むくみ・発熱・咳・冷や汗・胸痛・吸引部の皮膚が硬くなる・凹凸になる・施術箇所の知覚の麻痺・鈍さ、しびれ・皮膚の色素沈着など