1. トップページヘ
  2. 小顔(糸リフト・顔の脂肪吸引) / ヒアルロン酸

ヒアルロン酸

絞り込み検索

1~20件を表示:全26件

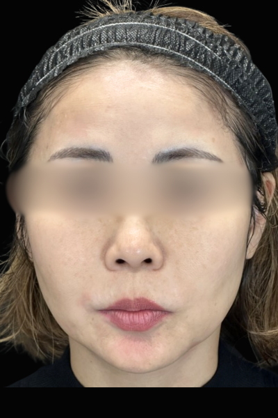
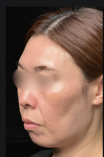
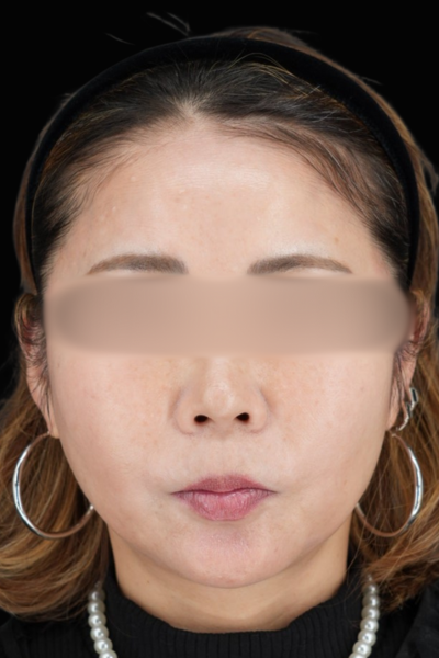
女性 50代

No.00814

患部の状態

  • フェイスラインのもたつき
  • 顔のたるみ

本人のご要望

  • #ヒアルロン酸
  • #糸リフト
  • Before
    手術前の状態
  • Before
    手術前の状態
  • Before
    手術前の状態
  • After
    手術後の状態 その1
  • After
    手術後の状態 その1
  • After
    手術後の状態 その1

施術内容・リスク

  • 施術内容・
    リスク
    【糸リフト】
    ▪︎通常価格 / ¥236,000〜¥597,600
    ▪︎治療回数 / 1回
    ▪︎治療内容 / 頬、フェイスラインのたるみの改善を図る目的とした施術です。
    ▪︎リスク・副作用について / 腫れ・痛み:2日〜1週間程度/内出血:1〜2週間程度 ※自由診療

    【ヒアルロン酸注入】
    ▪︎通常価格 / アラガン製1ccあたり ¥77,000 韓国製1ccあたり ¥38,500
    ▪︎治療回数 / 1回
    ▪︎治療内容 / しわや窪み、輪郭の改善を図ることを目的とした施術です。
    ▪︎リスク・副作用について / 疼痛・腫れ・内出血・血管閉塞・アレルギー・感染・硬結など ※自由診療

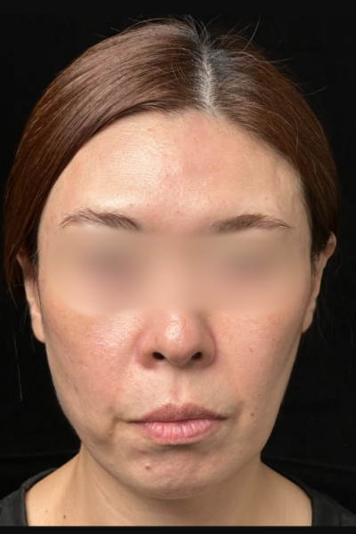
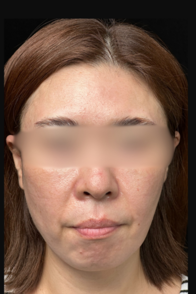
女性 50代

No.00808

患部の状態

  • フェイスラインのもたつき
  • 顔のたるみ

本人のご要望

  • #ヒアルロン酸
  • #糸リフト
  • Before
    手術前の状態
  • Before
    手術前の状態
  • Before
    手術前の状態
  • After
    手術後の状態 その1
  • After
    手術後の状態 その1
  • After
    手術後の状態 その1

施術内容・リスク

  • 施術内容・
    リスク
    【眉下切開】
    ▪︎通常価格 / ¥346,500
    ▪︎治療回数 / 1回
    ▪︎治療内容 / 眉毛のすぐ下にある余分な皮膚を切開し、たるんだまぶたを改善する施術です。
    ▪︎リスク▪︎副作用について / 腫れ、内出血、感染、左右差、傷跡、赤み、予定外の皺など ※自由診療

    【糸リフト】
    ▪︎通常価格 / ¥236,000〜¥597,600
    ▪︎治療回数 / 1回
    ▪︎治療内容 / 頬、フェイスラインのたるみの改善を図る目的とした施術です。
    ▪︎リスク・副作用について / 腫れ・痛み:2日〜1週間程度/内出血:1〜2週間程度 ※自由診療

    【ヒアルロン酸注入】
    ▪︎通常価格 / アラガン製1ccあたり ¥77,000 韓国製1ccあたり ¥38,500
    ▪︎治療回数 / 1回
    ▪︎治療内容 / しわや窪み、輪郭の改善を図ることを目的とした施術です。
    ▪︎リスク・副作用について / 疼痛・腫れ・内出血・血管閉塞・アレルギー・感染・硬結など ※自由診療

女性 60代

No.00726

患部の状態

  • フェイスラインのもたつき
  • 顔のたるみ

本人のご要望

  • #ヒアルロン酸
  • #ショッピングリフト
  • Before
    手術前の状態
  • Before
    手術前の状態
  • Before
    手術前の状態
  • After
    手術後の状態 その1
  • After
    手術後の状態 その1
  • After
    手術後の状態 その1

施術内容・リスク

  • 施術内容・
    リスク
    【ショッピングリフト】
    ▪︎通常価格 / ¥14,800〜¥440,000
    ▪︎治療回数 / 1回
    ▪︎治療内容 / 極細糸を皮膚内に挿入することで糸の周りの皮下組織のコラーゲン再生を促進させ、
    シワの軽減やリフトアップを図る施術です。 ▪︎リスク・副作用について / 腫れ、赤み、内出血、痛み、突っ張り感など ※自由診療

    【ヒアルロン酸注入】
    ▪︎通常価格 / アラガン製1ccあたり ¥77,000 韓国製1ccあたり ¥38,500
    ▪︎治療回数 / 1回
    ▪︎治療内容 / しわや窪み、輪郭の改善を図ることを目的とした施術です。
    ▪︎リスク・副作用について / 疼痛・腫れ・内出血・血管閉塞・アレルギー・感染・硬結など ※自由診療

女性 20代

No.00717

患部の状態

  • ほうれい線
  • 口元のたるみ

本人のご要望

  • #ヒアルロン酸
  • #ボトックス
  • #ハイフ
  • #糸リフト
  • Before
    手術前の状態
  • Before
    手術前の状態
  • Before
    手術前の状態
  • After
    手術後の状態 その1
  • After
    手術後の状態 その1
  • After
    手術後の状態 その1

施術内容・リスク

  • 施術内容・
    リスク
    【糸リフト】
    ▪︎通常価格 / ¥236,000〜¥597,600
    ▪︎治療回数 / 1回
    ▪︎治療内容 / 頬、フェイスラインのたるみの改善を図る目的とした施術です。
    ▪︎リスク・副作用について / 腫れ・痛み:2日〜1週間程度/内出血:1〜2週間程度 ※自由診療

    【ヒアルロン酸注入】
    ▪︎通常価格 / アラガン製1ccあたり ¥77,000 韓国製1ccあたり ¥38,500
    ▪︎治療回数 / 1回
    ▪︎治療内容 / しわや窪み、輪郭の改善を図ることを目的とした施術です。
    ▪︎リスク・副作用について / 疼痛・腫れ・内出血・血管閉塞・アレルギー・感染・硬結など ※自由診療

    【ハイフ】
    ▪︎通常価格 / ¥16,200〜¥220,800
    ▪︎治療回数 / 1回
    ▪︎治療内容 / HIFU(高密度焦点式超音波)を照射し、熱の力で皮下組織を凝集することで
    たるみの改善、肌を引き締めリフトアップする治療です。
    ▪︎リスク・副作用について / 赤み:1~2週間程度 ※自由診療

    【ボトックス】
    ▪︎通常価格 / アラガン製1ccあたり / ¥7,800
    ▪︎治療回数 / 1回
    ▪︎治療内容 / 筋肉を一 時的にリラックスさせ、表情じわの改善やエラの収縮、肩こり症状の改善を図る目的とした施術です。
    ▪︎リスク・副作用について / 疼痛・腫れ・内出血・アレルギー・表情に違和感など ※自由診療

女性 20代

No.00708

患部の状態

  • ほうれい線
  • 頬のたるみ

本人のご要望

  • #ヒアルロン酸
  • #ボトックス
  • #リムスレッド
  • Before
    手術前の状態
  • Before
    手術前の状態
  • Before
    手術前の状態
  • After
    手術後の状態 その1
  • After
    手術後の状態 その1
  • After
    手術後の状態 その1

施術内容・リスク

  • 施術内容・
    リスク
    【リム スレッド】
    ▪︎通常価格 / ¥386,000
    ▪︎治療回数 / 1回
    ▪︎治療内容 / 脂肪吸引注射×のAND美容外科独自小顔術です。切開をせず極細針で脂肪を取り除き、でたるみを引き上げることでより確実に理想の小顔を叶えます。
    ▪︎リスク・副作用について / 腫れ・痛み2日〜1週間程度 内出血1〜2週間程度 ※自由診療

    【ボトックス】
    ▪︎通常価格 / アラガン製1ccあたり / ¥7,800
    ▪︎治療回数 / 1回
    ▪︎治療内容 / 筋肉を一 時的にリラックスさせ、表情じわの改善やエラの収縮、肩こり症状の改善を図る目的とした施術です。
    ▪︎リスク・副作用について / 疼痛・腫れ・内出血・アレルギー・表情に違和感など ※自由診療

    【ヒアルロン酸注入】
    ▪︎通常価格 / アラガン製1ccあたり ¥77,000 韓国製1ccあたり ¥38,500
    ▪︎治療回数 / 1回
    ▪︎治療内容 / しわや窪み、輪郭の改善を図ることを目的とした施術です。
    ▪︎リスク・副作用について / 疼痛・腫れ・内出血・血管閉塞・アレルギー・感染・硬結など ※自由診療

女性 20代

No.00705

患部の状態

  • フェイスラインのもたつき
  • 顔のたるみ

本人のご要望

  • #フェイスラインをスッキリさせる
  • #ヒアルロン酸
  • #ボトックス
  • #リムスレッド
  • Before
    手術前の状態
  • Before
    手術前の状態
  • Before
    手術前の状態
  • After
    手術後の状態 その1
  • After
    手術後の状態 その1
  • After
    手術後の状態 その1

施術内容・リスク

  • 施術内容・
    リスク
    【リム スレッド】
    ▪︎通常価格 / ¥386,000
    ▪︎治療回数 / 1回
    ▪︎治療内容 / 脂肪吸引注射×のAND美容外科独自小顔術です。切開をせず極細針で脂肪を取り除き、でたるみを引き上げることでより確実に理想の小顔を叶えます。
    ▪︎リスク・副作用について / 腫れ・痛み2日〜1週間程度 内出血1〜2週間程度 ※自由診療

    【ボトックス】
    ▪︎通常価格 / アラガン製1ccあたり / ¥7,800
    ▪︎治療回数 / 1回
    ▪︎治療内容 / 筋肉を一 時的にリラックスさせ、表情じわの改善やエラの収縮、肩こり症状の改善を図る目的とした施術です。
    ▪︎リスク・副作用について / 疼痛・腫れ・内出血・アレルギー・表情に違和感など ※自由診療

    【ヒアルロン酸注入】
    ▪︎通常価格 / アラガン製1ccあたり ¥77,000 韓国製1ccあたり ¥38,500
    ▪︎治療回数 / 1回
    ▪︎治療内容 / しわや窪み、輪郭の改善を図ることを目的とした施術です。
    ▪︎リスク・副作用について / 疼痛・腫れ・内出血・血管閉塞・アレルギー・感染・硬結など ※自由診療

女性 40代

No.00628

患部の状態

  • フェイスラインのもたつき
  • 顔のたるみ

本人のご要望

  • #糸リフトPDO
  • #ヒアルロン酸
  • Before
    手術前の状態
  • Before
    手術前の状態
  • Before
    手術前の状態
  • After
    手術後の状態 その1
  • After
    手術後の状態 その1
  • After
    手術後の状態 その1

施術内容・リスク

  • 施術内容・
    リスク
    【糸リフト】
    ▪︎通常価格 / ¥236,000〜¥597,600
    ▪︎治療回数 / 1回
    ▪︎治療内容 / 頬、フェイスラインのたるみの改善を図る目的とした施術です。
    ▪︎リスク・副作用について / 腫れ・痛み:2日〜1週間程度/内出血:1〜2週間程度 ※自由診療

    【ヒアルロン酸注入】
    ▪︎通常価格 / アラガン製1ccあたり ¥77,000 韓国製1ccあたり ¥38,500
    ▪︎治療回数 / 1回
    ▪︎治療内容 / しわや窪み、輪郭の改善を図ることを目的とした施術です。
    ▪︎リスク・副作用について / 疼痛・腫れ・内出血・血管閉塞・アレルギー・感染・硬結など ※自由診療

女性 40代

No.00618

患部の状態

  • ほうれい線
  • 口元のたるみ

本人のご要望

  • #ほうれい線の改善
  • #糸リフトPCL
  • Before
    手術前の状態
  • Before
    手術前の状態
  • Before
    手術前の状態
  • After
    手術後の状態 その1
  • After
    手術後の状態 その1
  • After
    手術後の状態 その1

施術内容・リスク

  • 施術内容・
    リスク
    【糸リフト】
    ▪︎通常価格 / ¥236,000〜¥597,600
    ▪︎治療回数 / 1回
    ▪︎治療内容 / 頬、フェイスラインのたるみの改善を図る目的とした施術です。
    ▪︎リスク・副作用について / 腫れ・痛み:2日〜1週間程度/内出血:1〜2週間程度 ※自由診療

    【ヒアルロン酸注入】
    ▪︎通常価格 / アラガン製1ccあたり ¥77,000 韓国製1ccあたり ¥38,500
    ▪︎治療回数 / 1回
    ▪︎治療内容 / しわや窪み、輪郭の改善を図ることを目的とした施術です。
    ▪︎リスク・副作用について / 疼痛・腫れ・内出血・血管閉塞・アレルギー・感染・硬結など ※自由診療

    【ボトックス】
    ▪︎通常価格 / アラガン製1ccあたり / ¥7,800
    ▪︎治療回数 / 1回
    ▪︎治療内容 / 筋肉を一 時的にリラックスさせ、表情じわの改善やエラの収縮、肩こり症状の改善を図る目的とした施術です。
    ▪︎リスク・副作用について / 疼痛・腫れ・内出血・アレルギー・表情に違和感など ※自由診療

女性 40代

No.00354

患部の状態

  • ほうれい線
  • 頬のたるみ

本人のご要望

  • #たるみの改善
  • #糸リフトPDO
  • #ヒアルロン酸
  • Before
    手術前の状態
  • Before
    手術前の状態
  • Before
    手術前の状態
  • After
    手術後の状態 その1
  • After
    手術後の状態 その1
  • After
    手術後の状態 その1

施術内容・リスク

  • 施術内容・
    リスク
    【糸リフト】
    ▪︎通常価格 / ¥236,000〜¥597,600
    ▪︎治療回数 / 1回
    ▪︎治療内容 / 頬、フェイスラインのたるみの改善を図る目的とした施術です。
    ▪︎リスク・副作用について / 腫れ・痛み:2日〜1週間程度/内出血:1〜2週間程度 ※自由診療

    【ヒアルロン酸注入】
    ▪︎通常価格 / アラガン製1ccあたり ¥77,000 韓国製1ccあたり ¥38,500
    ▪︎治療回数 / 1回
    ▪︎治療内容 / しわや窪み、輪郭の改善を図ることを目的とした施術です。
    ▪︎リスク・副作用について / 疼痛・腫れ・内出血・血管閉塞・アレルギー・感染・硬結など ※自由診療

女性 60代

No.00348

患部の状態

  • フェイスラインのもたつき
  • ほうれい線
  • 頬のたるみ

本人のご要望

  • #糸リフトVOV
  • #ヒアルロン酸
  • Before
    手術前の状態
  • Before
    手術前の状態
  • Before
    手術前の状態
  • After
    手術後の状態 その1
  • After
    手術後の状態 その1
  • After
    手術後の状態 その1

施術内容・リスク

  • 施術内容・
    リスク
    【糸リフト】
    ▪︎通常価格 / ¥236,000〜¥597,600
    ▪︎治療回数 / 1回
    ▪︎治療内容 / 頬、フェイスラインのたるみの改善を図る目的とした施術です。
    ▪︎リスク・副作用について / 腫れ・痛み:2日〜1週間程度/内出血:1〜2週間程度 ※自由診療

    【ヒアルロン酸注入】
    ▪︎通常価格 / アラガン製1ccあたり ¥77,000 韓国製1ccあたり ¥38,500
    ▪︎治療回数 / 1回
    ▪︎治療内容 / しわや窪み、輪郭の改善を図ることを目的とした施術です。
    ▪︎リスク・副作用について / 疼痛・腫れ・内出血・血管閉塞・アレルギー・感染・硬結など ※自由診療

女性 20代

No.00344

患部の状態

  • 顔のたるみ
  • ほうれい線

本人のご要望

  • #たるみの改善
  • #糸リフトPDO
  • #ヒアルロン酸
  • Before
    手術前の状態
  • Before
    手術前の状態
  • Before
    手術前の状態
  • After
    手術後の状態 その1
  • After
    手術後の状態 その1
  • After
    手術後の状態 その1

施術内容・リスク

  • 施術内容・
    リスク
    【糸リフト】
    ▪︎通常価格 / ¥236,000〜¥597,600
    ▪︎治療回数 / 1回
    ▪︎治療内容 / 頬、フェイスラインのたるみの改善を図る目的とした施術です。
    ▪︎リスク・副作用について / 腫れ・痛み:2日〜1週間程度/内出血:1〜2週間程度 ※自由診療

    【ヒアルロン酸注入】
    ▪︎通常価格 / アラガン製1ccあたり ¥77,000 韓国製1ccあたり ¥38,500
    ▪︎治療回数 / 1回
    ▪︎治療内容 / しわや窪み、輪郭の改善を図ることを目的とした施術です。
    ▪︎リスク・副作用について / 疼痛・腫れ・内出血・血管閉塞・アレルギー・感染・硬結など ※自由診療

    【脂肪溶解注射】
    ▪︎通常価格 / 1部位 ¥300,000
    ▪︎治療回数 / 1回
    ▪︎治療内容 / 自身から採取した脂肪を気になる深いシワやくぼみ・凹みに注入することで肌にハリを持たせ改善させる方法です。
    ▪︎リスク・副作用について / だるさ・熱感・頭痛・蕁麻疹・痒み・むくみ・発熱・咳・冷や汗・胸痛・吸引部の皮膚が硬くなる、
    凹凸になる・施術箇所の知覚の麻痺・鈍さ、しびれ・皮膚の色素沈着などを生じることがあります。 ※自由診療

女性 30代

No.00341

患部の状態

  • ほうれい線
  • エラの張り

本人のご要望

  • #ヒアルロン酸
  • #エラ張りの改善
  • #ボトックス
  • Before
    手術前の状態
  • Before
    手術前の状態
  • Before
    手術前の状態
  • After
    手術後の状態 その1
  • After
    手術後の状態 その1
  • After
    手術後の状態 その1

施術内容・リスク

  • 施術内容・
    リスク
    【ボトックス】
    ▪︎通常価格 / アラガン製1ccあたり / ¥7,800
    ▪︎治療回数 / 1回
    ▪︎治療内容 / 筋肉を一 時的にリラックスさせ、表情じわの改善やエラの収縮、肩こり症状の改善を図る目的とした施術です。
    ▪︎リスク・副作用について / 疼痛・腫れ・内出血・アレルギー・表情に違和感など ※自由診療

    【ヒアルロン酸注入】
    ▪︎通常価格 / アラガン製1ccあたり ¥77,000 韓国製1ccあたり ¥38,500
    ▪︎治療回数 / 1回
    ▪︎治療内容 / しわや窪み、輪郭の改善を図ることを目的とした施術です。
    ▪︎リスク・副作用について / 疼痛・腫れ・内出血・血管閉塞・アレルギー・感染・硬結など ※自由診療

女性 40代

No.00326

患部の状態

  • 顔のたるみ
  • ほうれい線

本人のご要望

  • #フェイスラインをスッキリさせる
  • #たるみの改善
  • #ヒアルロン酸
  • Before
    手術前の状態
  • Before
    手術前の状態
  • Before
    手術前の状態
  • After
    手術後の状態 その1
  • After
    手術後の状態 その1
  • After
    手術後の状態 その1

施術内容・リスク

  • 施術内容・
    リスク
    【糸リフト】
    ▪︎通常価格 / ¥236,000〜¥597,600
    ▪︎治療回数 / 1回
    ▪︎治療内容 / 頬、フェイスラインのたるみの改善を図る目的とした施術です。
    ▪︎リスク・副作用について / 腫れ・痛み:2日〜1週間程度/内出血:1〜2週間程度 ※自由診療

    【ヒアルロン酸注入】
    ▪︎通常価格 / アラガン製1ccあたり ¥77,000 韓国製1ccあたり ¥38,500
    ▪︎治療回数 / 1回
    ▪︎治療内容 / しわや窪み、輪郭の改善を図ることを目的とした施術です。
    ▪︎リスク・副作用について / 疼痛・腫れ・内出血・血管閉塞・アレルギー・感染・硬結など ※自由診療

    【ハイフ】
    ▪︎通常価格 / ¥16,200〜¥220,800
    ▪︎治療回数 / 1回
    ▪︎治療内容 / HIFU(高密度焦点式超音波)を照射し、熱の力で皮下組織を凝集することで
    たるみの改善、肌を引き締めリフトアップする治療です。
    ▪︎リスク・副作用について / 赤み:1~2週間程度 ※自由診療

女性 30代

No.00320

患部の状態

  • 顔のたるみ
  • ほうれい線

本人のご要望

  • #糸リフトPDO
  • #ヒアルロン酸
  • Before
    手術前の状態
  • Before
    手術前の状態
  • Before
    手術前の状態
  • After
    手術後の状態 その1
  • After
    手術後の状態 その1
  • After
    手術後の状態 その1

施術内容・リスク

  • 施術内容・
    リスク
    【糸リフト】
    ▪︎通常価格 / ¥236,000〜¥597,600
    ▪︎治療回数 / 1回
    ▪︎治療内容 / 頬、フェイスラインのたるみの改善を図る目的とした施術です。
    ▪︎リスク・副作用について / 腫れ・痛み:2日〜1週間程度/内出血:1〜2週間程度 ※自由診療

    【ヒアルロン酸注入】
    ▪︎通常価格 / アラガン製1ccあたり ¥77,000 韓国製1ccあたり ¥38,500
    ▪︎治療回数 / 1回
    ▪︎治療内容 / しわや窪み、輪郭の改善を図ることを目的とした施術です。
    ▪︎リスク・副作用について / 疼痛・腫れ・内出血・血管閉塞・アレルギー・感染・硬結など ※自由診療

女性 20代

No.00316

患部の状態

  • 顔のたるみ
  • ほうれい線

本人のご要望

  • #フェイスラインをスッキリさせる
  • #糸リフトVOV
  • Before
    手術前の状態
  • Before
    手術前の状態
  • Before
    手術前の状態
  • After
    手術後の状態 その1
  • After
    手術後の状態 その1
  • After
    手術後の状態 その1

施術内容・リスク

  • 施術内容・
    リスク
    【糸リフト】
    ▪︎通常価格 / ¥236,000〜¥597,600
    ▪︎治療回数 / 1回
    ▪︎治療内容 / 頬、フェイスラインのたるみの改善を図る目的とした施術です。
    ▪︎リスク・副作用について / 腫れ・痛み:2日〜1週間程度/内出血:1〜2週間程度 ※自由診療

    【ヒアルロン酸注入】
    ▪︎通常価格 / アラガン製1ccあたり ¥77,000 韓国製1ccあたり ¥38,500
    ▪︎治療回数 / 1回
    ▪︎治療内容 / しわや窪み、輪郭の改善を図ることを目的とした施術です。
    ▪︎リスク・副作用について / 疼痛・腫れ・内出血・血管閉塞・アレルギー・感染・硬結など ※自由診療

    【ボトックス】
    ▪︎通常価格 / アラガン製1ccあたり / ¥7,800
    ▪︎治療回数 / 1回
    ▪︎治療内容 / 筋肉を一 時的にリラックスさせ、表情じわの改善やエラの収縮、肩こり症状の改善を図る目的とした施術です。
    ▪︎リスク・副作用について / 疼痛・腫れ・内出血・アレルギー・表情に違和感など ※自由診療

    【脂肪溶解注射】
    ▪︎通常価格 / 1部位 ¥300,000
    ▪︎治療回数 / 1回
    ▪︎治療内容 / 自身から採取した脂肪を気になる深いシワやくぼみ・凹みに注入することで肌にハリを持たせ改善させる方法です。
    ▪︎リスク・副作用について / だるさ・熱感・頭痛・蕁麻疹・痒み・むくみ・発熱・咳・冷や汗・胸痛・吸引部の皮膚が硬くなる、
    凹凸になる・施術箇所の知覚の麻痺・鈍さ、しびれ・皮膚の色素沈着などを生じることがあります。 ※自由診療

女性 60代

No.00315

患部の状態

  • 顔のたるみ
  • ほうれい線

本人のご要望

  • #糸リフトPDO
  • #ヒアルロン酸
  • Before
    手術前の状態
  • Before
    手術前の状態
  • Before
    手術前の状態
  • After
    手術後の状態 その1
  • After
    手術後の状態 その1
  • After
    手術後の状態 その1

施術内容・リスク

  • 施術内容・
    リスク
    【糸リフト】
    ▪︎通常価格 / ¥236,000〜¥597,600
    ▪︎治療回数 / 1回
    ▪︎治療内容 / 頬、フェイスラインのたるみの改善を図る目的とした施術です。
    ▪︎リスク・副作用について / 腫れ・痛み:2日〜1週間程度/内出血:1〜2週間程度 ※自由診療

    【ヒアルロン酸注入】
    ▪︎通常価格 / アラガン製1ccあたり ¥77,000 韓国製1ccあたり ¥38,500
    ▪︎治療回数 / 1回
    ▪︎治療内容 / しわや窪み、輪郭の改善を図ることを目的とした施術です。
    ▪︎リスク・副作用について / 疼痛・腫れ・内出血・血管閉塞・アレルギー・感染・硬結など ※自由診療

女性 50代

No.00314

患部の状態

  • 顔のたるみ
  • ほうれい線

本人のご要望

  • #フェイスラインをスッキリさせる
  • #たるみの改善
  • #ヒアルロン酸
  • #ボトックス
  • Before
    手術前の状態
  • Before
    手術前の状態
  • Before
    手術前の状態
  • After
    手術後の状態 その1
  • After
    手術後の状態 その1
  • After
    手術後の状態 その1

施術内容・リスク

  • 施術内容・
    リスク
    【糸リフト】
    ▪︎通常価格 / ¥236,000〜¥597,600
    ▪︎治療回数 / 1回
    ▪︎治療内容 / 頬、フェイスラインのたるみの改善を図る目的とした施術です。
    ▪︎リスク・副作用について / 腫れ・痛み:2日〜1週間程度/内出血:1〜2週間程度 ※自由診療

    【ヒアルロン酸注入】
    ▪︎通常価格 / アラガン製1ccあたり ¥77,000 韓国製1ccあたり ¥38,500
    ▪︎治療回数 / 1回
    ▪︎治療内容 / しわや窪み、輪郭の改善を図ることを目的とした施術です。
    ▪︎リスク・副作用について / 疼痛・腫れ・内出血・血管閉塞・アレルギー・感染・硬結など ※自由診療

    【ボトックス】
    ▪︎通常価格 / アラガン製1ccあたり / ¥7,800
    ▪︎治療回数 / 1回
    ▪︎治療内容 / 筋肉を一 時的にリラックスさせ、表情じわの改善やエラの収縮、肩こり症状の改善を図る目的とした施術です。
    ▪︎リスク・副作用について / 疼痛・腫れ・内出血・アレルギー・表情に違和感など ※自由診療

女性 50代

No.00304

患部の状態

  • フェイスラインのもたつき

本人のご要望

  • #フェイスラインをスッキリさせる
  • #糸リフトVOV
  • #ヒアルロン酸
  • #ボトックス
  • Before
    手術前の状態
  • Before
    手術前の状態
  • Before
    手術前の状態
  • After
    手術後の状態 その1
  • After
    手術後の状態 その1
  • After
    手術後の状態 その1

施術内容・リスク

  • 施術内容・
    リスク
    【糸リフト】
    ▪︎通常価格 / ¥236,000〜¥597,600
    ▪︎治療回数 / 1回
    ▪︎治療内容 / 頬、フェイスラインのたるみの改善を図る目的とした施術です。
    ▪︎リスク・副作用について / 腫れ・痛み:2日〜1週間程度/内出血:1〜2週間程度 ※自由診療

    【ヒアルロン酸注入】
    ▪︎通常価格 / アラガン製1ccあたり ¥77,000 韓国製1ccあたり ¥38,500
    ▪︎治療回数 / 1回
    ▪︎治療内容 / しわや窪み、輪郭の改善を図ることを目的とした施術です。
    ▪︎リスク・副作用について / 疼痛・腫れ・内出血・血管閉塞・アレルギー・感染・硬結など ※自由診療

    【ボトックス】
    ▪︎通常価格 / アラガン製1ccあたり / ¥7,800
    ▪︎治療回数 / 1回
    ▪︎治療内容 / 筋肉を一 時的にリラックスさせ、表情じわの改善やエラの収縮、肩こり症状の改善を図る目的とした施術です。
    ▪︎リスク・副作用について / 疼痛・腫れ・内出血・アレルギー・表情に違和感など ※自由診療

女性 40代

No.00300

患部の状態

  • フェイスラインのもたつき

本人のご要望

  • #フェイスラインをスッキリさせる
  • #ヒアルロン酸
  • Before
    手術前の状態
  • Before
    手術前の状態
  • Before
    手術前の状態
  • After
    手術後の状態 その1
  • After
    手術後の状態 その1
  • After
    手術後の状態 その1

施術内容・リスク

  • 施術内容・
    リスク
    【糸リフト】
    ▪︎通常価格 / ¥236,000〜¥597,600
    ▪︎治療回数 / 1回
    ▪︎治療内容 / 頬、フェイスラインのたるみの改善を図る目的とした施術です。
    ▪︎リスク・副作用について / 腫れ・痛み:2日〜1週間程度/内出血:1〜2週間程度 ※自由診療

    【ヒアルロン酸注入】
    ▪︎通常価格 / アラガン製1ccあたり ¥77,000 韓国製1ccあたり ¥38,500
    ▪︎治療回数 / 1回
    ▪︎治療内容 / しわや窪み、輪郭の改善を図ることを目的とした施術です。
    ▪︎リスク・副作用について / 疼痛・腫れ・内出血・血管閉塞・アレルギー・感染・硬結など ※自由診療

女性 30代

No.00299

患部の状態

  • 顔のたるみ
  • ほうれい線

本人のご要望

  • #フェイスラインをスッキリさせる
  • #たるみの改善
  • #糸リフトPDO
  • #ヒアルロン酸
  • Before
    手術前の状態
  • Before
    手術前の状態
  • Before
    手術前の状態
  • After
    手術後の状態 その1
  • After
    手術後の状態 その1
  • After
    手術後の状態 その1

施術内容・リスク

  • 施術内容・
    リスク
    【糸リフト】
    ▪︎通常価格 / ¥236,000〜¥597,600
    ▪︎治療回数 / 1回
    ▪︎治療内容 / 頬、フェイスラインのたるみの改善を図る目的とした施術です。
    ▪︎リスク・副作用について / 腫れ・痛み:2日〜1週間程度/内出血:1〜2週間程度 ※自由診療

    【ヒアルロン酸注入】
    ▪︎通常価格 / アラガン製1ccあたり ¥77,000 韓国製1ccあたり ¥38,500
    ▪︎治療回数 / 1回
    ▪︎治療内容 / しわや窪み、輪郭の改善を図ることを目的とした施術です。
    ▪︎リスク・副作用について / 疼痛・腫れ・内出血・血管閉塞・アレルギー・感染・硬結など ※自由診療

    【ボトックス】
    ▪︎通常価格 / アラガン製1ccあたり / ¥7,800
    ▪︎治療回数 / 1回
    ▪︎治療内容 / 筋肉を一 時的にリラックスさせ、表情じわの改善やエラの収縮、肩こり症状の改善を図る目的とした施術です。
    ▪︎リスク・副作用について / 疼痛・腫れ・内出血・アレルギー・表情に違和感など ※自由診療