1. トップページヘ
  2. 小顔(糸リフト・顔の脂肪吸引) / 糸リフト
  3. 糸リフト

糸リフト

詳細をみる

糸リフト(スレッドリフト)は医療用の糸を用いて、頬やフェイスラインのたるみや肌のハリを改善するための美容治療です。 メスを使わないため、腫れや内出血などのダウンタイムが短く、挿入部も目立たないのが特徴です。 スレッドが皮膚表面ではなく、深部にアプローチして引き上げるため、たるみが原因のほうれい線やマリオネットラインなどのシワ、フェイスラインのもたつきを目立ちにくくさせます。

検索条件

1~20件を表示:全42件

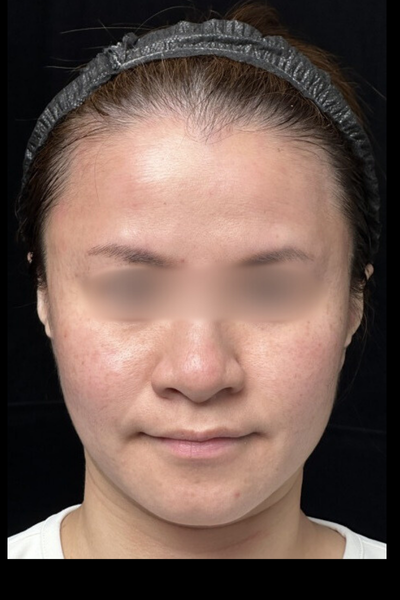
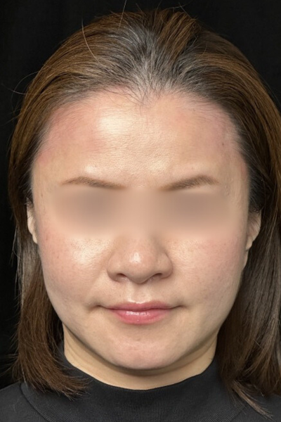
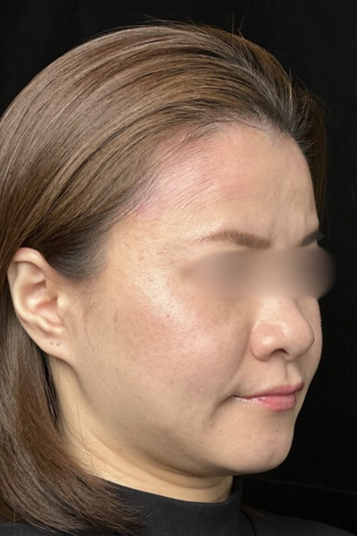
女性 50代

No.00812

患部の状態

  • フェイスラインのもたつき
  • 顔のたるみ

本人のご要望

  • #ヒアルロン酸
  • #糸リフト
  • Before
    手術前の状態
  • Before
    手術前の状態
  • Before
    手術前の状態
  • After
    手術後の状態 その1
  • After
    手術後の状態 その1
  • After
    手術後の状態 その1

施術内容・リスク

  • 施術内容・
    リスク
    【糸リフト】
    ▪︎通常価格 / ¥236,000〜¥597,600
    ▪︎治療回数 / 1回
    ▪︎治療内容 / 頬、フェイスラインのたるみの改善を図る目的とした施術です。
    ▪︎リスク・副作用について / 腫れ・痛み:2日〜1週間程度/内出血:1〜2週間程度 ※自由診療

    【ヒアルロン酸注入】
    ▪︎通常価格 / アラガン製1ccあたり ¥77,000 韓国製1ccあたり ¥38,500
    ▪︎治療回数 / 1回
    ▪︎治療内容 / しわや窪み、輪郭の改善を図ることを目的とした施術です。
    ▪︎リスク・副作用について / 疼痛・腫れ・内出血・血管閉塞・アレルギー・感染・硬結など ※自由診療

女性 50代

No.00807

患部の状態

  • フェイスラインのもたつき
  • 顔のたるみ

本人のご要望

  • #ヒアルロン酸
  • #糸リフト
  • Before
    手術前の状態
  • Before
    手術前の状態
  • Before
    手術前の状態
  • After
    手術後の状態 その1
  • After
    手術後の状態 その1
  • After
    手術後の状態 その1

施術内容・リスク

  • 施術内容・
    リスク
    【眉下切開】
    ▪︎通常価格 / ¥346,500
    ▪︎治療回数 / 1回
    ▪︎治療内容 / 眉毛のすぐ下にある余分な皮膚を切開し、たるんだまぶたを改善する施術です。
    ▪︎リスク▪︎副作用について / 腫れ、内出血、感染、左右差、傷跡、赤み、予定外の皺など ※自由診療

    【糸リフト】
    ▪︎通常価格 / ¥236,000〜¥597,600
    ▪︎治療回数 / 1回
    ▪︎治療内容 / 頬、フェイスラインのたるみの改善を図る目的とした施術です。
    ▪︎リスク・副作用について / 腫れ・痛み:2日〜1週間程度/内出血:1〜2週間程度 ※自由診療

    【ヒアルロン酸注入】
    ▪︎通常価格 / アラガン製1ccあたり ¥77,000 韓国製1ccあたり ¥38,500
    ▪︎治療回数 / 1回
    ▪︎治療内容 / しわや窪み、輪郭の改善を図ることを目的とした施術です。
    ▪︎リスク・副作用について / 疼痛・腫れ・内出血・血管閉塞・アレルギー・感染・硬結など ※自由診療

女性 30代

No.00723

患部の状態

  • フェイスラインのもたつき
  • 顔のたるみ

本人のご要望

  • #ヒアルロン酸
  • #ショッピングリフト
  • Before
    手術前の状態
  • Before
    手術前の状態
  • Before
    手術前の状態
  • After
    手術後の状態 その1
  • After
    手術後の状態 その1
  • After
    手術後の状態 その1

施術内容・リスク

  • 施術内容・
    リスク
    【埋没法▪︎自然癒着法】
    ▪︎通常価格 / ¥14,800〜¥418,000
    ▪︎治療回数 / 1回
    ▪︎治療内容 / まぶたの数か所を専用の糸で固定することで、二重まぶたを形成する施術です。
    ▪︎リスク▪︎副作用について / 腫れ▪︎痛み▪︎内出血:2日〜2週間程度 ※自由診療

    【ショッピングリフト】
    ▪︎通常価格 / ¥14,800〜¥440,000
    ▪︎治療回数 / 1回
    ▪︎治療内容 / 極細糸を皮膚内に挿入することで糸の周りの皮下組織のコラーゲン再生を促進させ、
    シワの軽減やリフトアップを図る施術です。 ▪︎リスク・副作用について / 腫れ、赤み、内出血、痛み、突っ張り感など ※自由診療

    【ヒアルロン酸注入】
    ▪︎通常価格 / アラガン製1ccあたり ¥77,000 韓国製1ccあたり ¥38,500
    ▪︎治療回数 / 1回
    ▪︎治療内容 / しわや窪み、輪郭の改善を図ることを目的とした施術です。
    ▪︎リスク・副作用について / 疼痛・腫れ・内出血・血管閉塞・アレルギー・感染・硬結など ※自由診療

女性 60代

No.00722

患部の状態

  • フェイスラインのもたつき
  • 顔のたるみ

本人のご要望

  • #ヒアルロン酸
  • #ショッピングリフト
  • Before
    手術前の状態
  • Before
    手術前の状態
  • Before
    手術前の状態
  • After
    手術後の状態 その1
  • After
    手術後の状態 その1
  • After
    手術後の状態 その1

施術内容・リスク

  • 施術内容・
    リスク
    【ショッピングリフト】
    ▪︎通常価格 / ¥14,800〜¥440,000
    ▪︎治療回数 / 1回
    ▪︎治療内容 / 極細糸を皮膚内に挿入することで糸の周りの皮下組織のコラーゲン再生を促進させ、
    シワの軽減やリフトアップを図る施術です。 ▪︎リスク・副作用について / 腫れ、赤み、内出血、痛み、突っ張り感など ※自由診療

    【ヒアルロン酸注入】
    ▪︎通常価格 / アラガン製1ccあたり ¥77,000 韓国製1ccあたり ¥38,500
    ▪︎治療回数 / 1回
    ▪︎治療内容 / しわや窪み、輪郭の改善を図ることを目的とした施術です。
    ▪︎リスク・副作用について / 疼痛・腫れ・内出血・血管閉塞・アレルギー・感染・硬結など ※自由診療

女性 40代

No.00716

患部の状態

  • フェイスラインのもたつき
  • 頬のたるみ

本人のご要望

  • #ボトックス
  • #ハイフ
  • #糸リフト
  • Before
    手術前の状態
  • Before
    手術前の状態
  • Before
    手術前の状態
  • After
    手術後の状態 その1
  • After
    手術後の状態 その1
  • After
    手術後の状態 その1

施術内容・リスク

  • 施術内容・
    リスク
    【糸リフト】
    ▪︎通常価格 / ¥236,000〜¥597,600
    ▪︎治療回数 / 1回
    ▪︎治療内容 / 頬、フェイスラインのたるみの改善を図る目的とした施術です。
    ▪︎リスク・副作用について / 腫れ・痛み:2日〜1週間程度/内出血:1〜2週間程度 ※自由診療

    【ハイフ】
    ▪︎通常価格 / ¥16,200〜¥220,800
    ▪︎治療回数 / 1回
    ▪︎治療内容 / HIFU(高密度焦点式超音波)を照射し、熱の力で皮下組織を凝集することで
    たるみの改善、肌を引き締めリフトアップする治療です。
    ▪︎リスク・副作用について / 赤み:1~2週間程度 ※自由診療

    【ボトックス】
    ▪︎通常価格 / アラガン製1ccあたり / ¥7,800
    ▪︎治療回数 / 1回
    ▪︎治療内容 / 筋肉を一 時的にリラックスさせ、表情じわの改善やエラの収縮、肩こり症状の改善を図る目的とした施術です。
    ▪︎リスク・副作用について / 疼痛・腫れ・内出血・アレルギー・表情に違和感など ※自由診療

女性 20代

No.00699

患部の状態

  • エラの張り

本人のご要望

  • #糸リフトPDO
  • #ヒアルロン酸
  • #エラ張りの改善
  • Before
    手術前の状態
  • Before
    手術前の状態
  • Before
    手術前の状態
  • After
    手術後の状態 その1
  • After
    手術後の状態 その1
  • After
    手術後の状態 その1

施術内容・リスク

  • 施術内容・
    リスク
    【埋没法▪︎自然癒着法】
    ▪︎通常価格 / ¥14,800〜¥418,000
    ▪︎治療回数 / 1回
    ▪︎治療内容 / まぶたの数か所を専用の糸で固定することで、二重まぶたを形成する施術です。
    ▪︎リスク▪︎副作用について / 腫れ▪︎痛み▪︎内出血:2日〜2週間程度 ※自由診療

    【下脱脂】
    ▪︎通常価格 / ¥19,800〜¥250,500
    ▪︎治療回数 / 1回
    ▪︎治療内容 / クマの原因となっている脂肪を、内側▪︎中央▪︎外側の部位から余分な脂肪のみをバランスを整えながら取り除く施術です。
    ▪︎リスク▪︎副作用について / 内出血、腫れ、充血、結膜浮腫など ※自由診療

    【糸リフト】
    ▪︎通常価格 / ¥236,000〜¥597,600
    ▪︎治療回数 / 1回
    ▪︎治療内容 / 頬、フェイスラインのたるみの改善を図る目的とした施術です。
    ▪︎リスク・副作用について / 腫れ・痛み:2日〜1週間程度/内出血:1〜2週間程度 ※自由診療

    【ヒアルロン酸注入】
    ▪︎通常価格 / アラガン製1ccあたり ¥77,000 韓国製1ccあたり ¥38,500
    ▪︎治療回数 / 1回
    ▪︎治療内容 / しわや窪み、輪郭の改善を図ることを目的とした施術です。
    ▪︎リスク・副作用について / 疼痛・腫れ・内出血・血管閉塞・アレルギー・感染・硬結など ※自由診療

女性 40代

No.00626

患部の状態

  • フェイスラインのもたつき
  • 顔のたるみ

本人のご要望

  • #糸リフトPDO
  • #ヒアルロン酸
  • Before
    手術前の状態
  • Before
    手術前の状態
  • Before
    手術前の状態
  • After
    手術後の状態 その1
  • After
    手術後の状態 その1
  • After
    手術後の状態 その1

施術内容・リスク

  • 施術内容・
    リスク
    【糸リフト】
    ▪︎通常価格 / ¥236,000〜¥597,600
    ▪︎治療回数 / 1回
    ▪︎治療内容 / 頬、フェイスラインのたるみの改善を図る目的とした施術です。
    ▪︎リスク・副作用について / 腫れ・痛み:2日〜1週間程度/内出血:1〜2週間程度 ※自由診療

    【ヒアルロン酸注入】
    ▪︎通常価格 / アラガン製1ccあたり ¥77,000 韓国製1ccあたり ¥38,500
    ▪︎治療回数 / 1回
    ▪︎治療内容 / しわや窪み、輪郭の改善を図ることを目的とした施術です。
    ▪︎リスク・副作用について / 疼痛・腫れ・内出血・血管閉塞・アレルギー・感染・硬結など ※自由診療

女性 40代

No.00612

患部の状態

  • ほうれい線
  • 口元のたるみ

本人のご要望

  • #ほうれい線の改善
  • #糸リフトPCL
  • Before
    手術前の状態
  • Before
    手術前の状態
  • Before
    手術前の状態
  • After
    手術後の状態 その1
  • After
    手術後の状態 その1
  • After
    手術後の状態 その1

施術内容・リスク

  • 施術内容・
    リスク
    【糸リフト】
    ▪︎通常価格 / ¥236,000〜¥597,600
    ▪︎治療回数 / 1回
    ▪︎治療内容 / 頬、フェイスラインのたるみの改善を図る目的とした施術です。
    ▪︎リスク・副作用について / 腫れ・痛み:2日〜1週間程度/内出血:1〜2週間程度 ※自由診療

    【ヒアルロン酸注入】
    ▪︎通常価格 / アラガン製1ccあたり ¥77,000 韓国製1ccあたり ¥38,500
    ▪︎治療回数 / 1回
    ▪︎治療内容 / しわや窪み、輪郭の改善を図ることを目的とした施術です。
    ▪︎リスク・副作用について / 疼痛・腫れ・内出血・血管閉塞・アレルギー・感染・硬結など ※自由診療

    【ボトックス】
    ▪︎通常価格 / アラガン製1ccあたり / ¥7,800
    ▪︎治療回数 / 1回
    ▪︎治療内容 / 筋肉を一 時的にリラックスさせ、表情じわの改善やエラの収縮、肩こり症状の改善を図る目的とした施術です。
    ▪︎リスク・副作用について / 疼痛・腫れ・内出血・アレルギー・表情に違和感など ※自由診療

男性 40代

No.00600

患部の状態

  • フェイスラインのもたつき
  • 顔のたるみ

本人のご要望

  • #リムスレッド
  • #脂肪吸引注射
  • Before
    手術前の状態
  • Before
    手術前の状態
  • Before
    手術前の状態
  • After
    手術後の状態 その1
  • After
    手術後の状態 その1
  • After
    手術後の状態 その1

施術内容・リスク

  • 施術内容・
    リスク
    【リム スレッド】
    ▪︎通常価格 / ¥386,000
    ▪︎治療回数 / 1回
    ▪︎治療内容 / 脂肪吸引注射×のAND美容外科独自小顔術です。切開をせず極細針で脂肪を取り除き、でたるみを引き上げることでより確実に理想の小顔を叶えます。
    ▪︎リスク・副作用について / 腫れ・痛み2日〜1週間程度 内出血1〜2週間程度 ※自由診療

男性 40代

No.00598

患部の状態

  • フェイスラインのもたつき
  • 顔のたるみ

本人のご要望

  • #リムスレッド
  • Before
    手術前の状態
  • Before
    手術前の状態
  • Before
    手術前の状態
  • After
    手術後の状態 その1
  • After
    手術後の状態 その1
  • After
    手術後の状態 その1

施術内容・リスク

  • 施術内容・
    リスク
    【リム スレッド】
    ▪︎通常価格 / ¥386,000
    ▪︎治療回数 / 1回
    ▪︎治療内容 / 脂肪吸引注射×のAND美容外科独自小顔術です。切開をせず極細針で脂肪を取り除き、でたるみを引き上げることでより確実に理想の小顔を叶えます。
    ▪︎リスク・副作用について / 腫れ・痛み2日〜1週間程度 内出血1〜2週間程度 ※自由診療

女性 20代

No.00594

患部の状態

  • 顔のたるみ
  • ほうれい線

本人のご要望

  • #ヒアルロン酸
  • #ボトックス
  • #リムスレッド
  • Before
    手術前の状態
  • Before
    手術前の状態
  • Before
    手術前の状態
  • After
    手術後の状態 その1
  • After
    手術後の状態 その1
  • After
    手術後の状態 その1

施術内容・リスク

  • 施術内容・
    リスク
    【リム スレッド】
    ▪︎通常価格 / ¥386,000
    ▪︎治療回数 / 1回
    ▪︎治療内容 / 脂肪吸引注射×のAND美容外科独自小顔術です。切開をせず極細針で脂肪を取り除き、でたるみを引き上げることでより確実に理想の小顔を叶えます。
    ▪︎リスク・副作用について / 腫れ・痛み2日〜1週間程度 内出血1〜2週間程度 ※自由診療

    【ボトックス】
    ▪︎通常価格 / アラガン製1ccあたり / ¥7,800
    ▪︎治療回数 / 1回
    ▪︎治療内容 / 筋肉を一 時的にリラックスさせ、表情じわの改善やエラの収縮、肩こり症状の改善を図る目的とした施術です。
    ▪︎リスク・副作用について / 疼痛・腫れ・内出血・アレルギー・表情に違和感など ※自由診療

    【ヒアルロン酸注入】
    ▪︎通常価格 / アラガン製1ccあたり ¥77,000 韓国製1ccあたり ¥38,500
    ▪︎治療回数 / 1回
    ▪︎治療内容 / しわや窪み、輪郭の改善を図ることを目的とした施術です。
    ▪︎リスク・副作用について / 疼痛・腫れ・内出血・血管閉塞・アレルギー・感染・硬結など ※自由診療

女性 20代

No.00592

患部の状態

  • フェイスラインのもたつき

本人のご要望

  • #ヒアルロン酸
  • #ボトックス
  • #リムスレッド
  • Before
    手術前の状態
  • Before
    手術前の状態
  • Before
    手術前の状態
  • After
    手術後の状態 その1
  • After
    手術後の状態 その1
  • After
    手術後の状態 その1

施術内容・リスク

  • 施術内容・
    リスク
    【リム スレッド】
    ▪︎通常価格 / ¥386,000
    ▪︎治療回数 / 1回
    ▪︎治療内容 / 脂肪吸引注射×のAND美容外科独自小顔術です。切開をせず極細針で脂肪を取り除き、でたるみを引き上げることでより確実に理想の小顔を叶えます。
    ▪︎リスク・副作用について / 腫れ・痛み2日〜1週間程度 内出血1〜2週間程度 ※自由診療

    【ボトックス】
    ▪︎通常価格 / アラガン製1ccあたり / ¥7,800
    ▪︎治療回数 / 1回
    ▪︎治療内容 / 筋肉を一 時的にリラックスさせ、表情じわの改善やエラの収縮、肩こり症状の改善を図る目的とした施術です。
    ▪︎リスク・副作用について / 疼痛・腫れ・内出血・アレルギー・表情に違和感など ※自由診療

    【ヒアルロン酸注入】
    ▪︎通常価格 / アラガン製1ccあたり ¥77,000 韓国製1ccあたり ¥38,500
    ▪︎治療回数 / 1回
    ▪︎治療内容 / しわや窪み、輪郭の改善を図ることを目的とした施術です。
    ▪︎リスク・副作用について / 疼痛・腫れ・内出血・血管閉塞・アレルギー・感染・硬結など ※自由診療

女性 40代

No.00360

患部の状態

  • 顔のたるみ
  • ほうれい線

本人のご要望

  • #糸リフトVOV
  • #脂肪吸引
  • Before
    手術前の状態
  • Before
    手術前の状態
  • Before
    手術前の状態
  • After
    手術後の状態 その1
  • After
    手術後の状態 その1
  • After
    手術後の状態 その1

施術内容・リスク

  • 施術内容・
    リスク
    【糸リフト】
    ▪︎通常価格 / ¥236,000〜¥597,600
    ▪︎治療回数 / 1回
    ▪︎治療内容 / 頬、フェイスラインのたるみの改善を図る目的とした施術です。
    ▪︎リスク・副作用について / 腫れ・痛み:2日〜1週間程度/内出血:1〜2週間程度 ※自由診療

    【バッカルファット・ジョールファット・メーラーファット除去】
    ▪︎通常価格 / 各¥200,000
    ▪︎治療回数 / 1回
    ▪︎治療内容 / 頬部のたるみや重くボテっとした輪郭の原因の一つである、バッカルファットを切除することにより、スッキリとした輪郭を目指します。
    ▪︎リスク・副作用について / だるさ・熱感・頭痛・蕁麻疹・痒み・むくみ・発熱・咳・冷や汗・胸痛・左右差・へこみ、頬がこける、皮膚がたるむなど ※自由診療

    【脂肪吸引(両頬・顎下)】
    ▪︎通常価格 / ¥400,000
    ▪︎治療内容 / 脂肪が多くついている部位・気になる部位から脂肪細胞を吸引する施術です。
    ▪︎リスク・副作用について / だるさ・熱・頭痛・蕁麻疹・痒み・むくみ・発熱・咳・冷や汗・胸痛・吸引部の皮膚が硬くなる・凹凸になる・施術箇所の知覚の麻痺・鈍さ、しびれ・皮膚の色素沈着など ※自由診療

女性 20代

No.00359

患部の状態

  • フェイスラインのもたつき

本人のご要望

  • #フェイスラインをスッキリさせる
  • Before
    手術前の状態
  • Before
    手術前の状態
  • Before
    手術前の状態
  • After
    手術後の状態 その1
  • After
    手術後の状態 その1
  • After
    手術後の状態 その1

施術内容・リスク

  • 施術内容・
    リスク
    【糸リフト】
    ▪︎通常価格 / ¥236,000〜¥597,600
    ▪︎治療回数 / 1回
    ▪︎治療内容 / 頬、フェイスラインのたるみの改善を図る目的とした施術です。
    ▪︎リスク・副作用について / 腫れ・痛み:2日〜1週間程度/内出血:1〜2週間程度 ※自由診療

女性 30代

No.00356

患部の状態

  • ほうれい線
  • 頬のたるみ

本人のご要望

  • #フェイスラインをスッキリさせる
  • #たるみの改善
  • Before
    手術前の状態
  • Before
    手術前の状態
  • Before
    手術前の状態
  • After
    手術後の状態 その1
  • After
    手術後の状態 その1
  • After
    手術後の状態 その1

施術内容・リスク

  • 施術内容・
    リスク
    【糸リフト】
    ▪︎通常価格 / ¥236,000〜¥597,600
    ▪︎治療回数 / 1回
    ▪︎治療内容 / 頬、フェイスラインのたるみの改善を図る目的とした施術です。
    ▪︎リスク・副作用について / 腫れ・痛み:2日〜1週間程度/内出血:1〜2週間程度 ※自由診療

    【脂肪溶解注射】
    ▪︎通常価格 / 1部位 ¥300,000
    ▪︎治療回数 / 1回
    ▪︎治療内容 / 自身から採取した脂肪を気になる深いシワやくぼみ・凹みに注入することで肌にハリを持たせ改善させる方法です。
    ▪︎リスク・副作用について / だるさ・熱感・頭痛・蕁麻疹・痒み・むくみ・発熱・咳・冷や汗・胸痛・吸引部の皮膚が硬くなる、
    凹凸になる・施術箇所の知覚の麻痺・鈍さ、しびれ・皮膚の色素沈着などを生じることがあります。 ※自由診療

女性 30代

No.00355

患部の状態

  • フェイスラインのもたつき
  • 頬のたるみ

本人のご要望

  • #ほうれい線の改善
  • #糸リフトPDO
  • #ボトックス
  • Before
    手術前の状態
  • Before
    手術前の状態
  • Before
    手術前の状態
  • After
    手術後の状態 その1
  • After
    手術後の状態 その1
  • After
    手術後の状態 その1

施術内容・リスク

  • 施術内容・
    リスク
    【糸リフト】
    ▪︎通常価格 / ¥236,000〜¥597,600
    ▪︎治療回数 / 1回
    ▪︎治療内容 / 頬、フェイスラインのたるみの改善を図る目的とした施術です。
    ▪︎リスク・副作用について / 腫れ・痛み:2日〜1週間程度/内出血:1〜2週間程度 ※自由診療

    【ボトックス】
    ▪︎通常価格 / アラガン製1ccあたり / ¥7,800
    ▪︎治療回数 / 1回
    ▪︎治療内容 / 筋肉を一 時的にリラックスさせ、表情じわの改善やエラの収縮、肩こり症状の改善を図る目的とした施術です。
    ▪︎リスク・副作用について / 疼痛・腫れ・内出血・アレルギー・表情に違和感など ※自由診療

女性 40代

No.00351

患部の状態

  • 顔のたるみ
  • ほうれい線

本人のご要望

  • #フェイスラインをスッキリさせる
  • #たるみの改善
  • #ボトックス
  • Before
    手術前の状態
  • Before
    手術前の状態
  • Before
    手術前の状態
  • After
    手術後の状態 その1
  • After
    手術後の状態 その1
  • After
    手術後の状態 その1

施術内容・リスク

  • 施術内容・
    リスク
    【糸リフト】
    ▪︎通常価格 / ¥236,000〜¥597,600
    ▪︎治療回数 / 1回
    ▪︎治療内容 / 頬、フェイスラインのたるみの改善を図る目的とした施術です。
    ▪︎リスク・副作用について / 腫れ・痛み:2日〜1週間程度/内出血:1〜2週間程度 ※自由診療

    【バッカルファット・ジョールファット・メーラーファット除去】
    ▪︎通常価格 / 各¥200,000
    ▪︎治療回数 / 1回
    ▪︎治療内容 / 頬部のたるみや重くボテっとした輪郭の原因の一つである、バッカルファットを切除することにより、スッキリとした輪郭を目指します。
    ▪︎リスク・副作用について / だるさ・熱感・頭痛・蕁麻疹・痒み・むくみ・発熱・咳・冷や汗・胸痛・左右差・へこみ、頬がこける、皮膚がたるむなど ※自由診療

    【ボトックス】
    ▪︎通常価格 / アラガン製1ccあたり / ¥7,800
    ▪︎治療回数 / 1回
    ▪︎治療内容 / 筋肉を一 時的にリラックスさせ、表情じわの改善やエラの収縮、肩こり症状の改善を図る目的とした施術です。
    ▪︎リスク・副作用について / 疼痛・腫れ・内出血・アレルギー・表情に違和感など ※自由診療

女性 50代

No.00350

患部の状態

  • フェイスラインのもたつき
  • 頬のたるみ

本人のご要望

  • #糸リフトPDO
  • #ボトックス
  • Before
    手術前の状態
  • Before
    手術前の状態
  • Before
    手術前の状態
  • After
    手術後の状態 その1
  • After
    手術後の状態 その1
  • After
    手術後の状態 その1

施術内容・リスク

  • 施術内容・
    リスク
    【糸リフト】
    ▪︎通常価格 / ¥236,000〜¥597,600
    ▪︎治療回数 / 1回
    ▪︎治療内容 / 頬、フェイスラインのたるみの改善を図る目的とした施術です。
    ▪︎リスク・副作用について / 腫れ・痛み:2日〜1週間程度/内出血:1〜2週間程度 ※自由診療

    【ボトックス】
    ▪︎通常価格 / アラガン製1ccあたり / ¥7,800
    ▪︎治療回数 / 1回
    ▪︎治療内容 / 筋肉を一 時的にリラックスさせ、表情じわの改善やエラの収縮、肩こり症状の改善を図る目的とした施術です。
    ▪︎リスク・副作用について / 疼痛・腫れ・内出血・アレルギー・表情に違和感など ※自由診療

女性 40代

No.00349

患部の状態

  • ほうれい線
  • 頬のたるみ

本人のご要望

  • #たるみの改善
  • #糸リフトPDO
  • #ヒアルロン酸
  • Before
    手術前の状態
  • Before
    手術前の状態
  • Before
    手術前の状態
  • After
    手術後の状態 その1
  • After
    手術後の状態 その1
  • After
    手術後の状態 その1

施術内容・リスク

  • 施術内容・
    リスク
    【糸リフト】
    ▪︎通常価格 / ¥236,000〜¥597,600
    ▪︎治療回数 / 1回
    ▪︎治療内容 / 頬、フェイスラインのたるみの改善を図る目的とした施術です。
    ▪︎リスク・副作用について / 腫れ・痛み:2日〜1週間程度/内出血:1〜2週間程度 ※自由診療

    【ヒアルロン酸注入】
    ▪︎通常価格 / アラガン製1ccあたり ¥77,000 韓国製1ccあたり ¥38,500
    ▪︎治療回数 / 1回
    ▪︎治療内容 / しわや窪み、輪郭の改善を図ることを目的とした施術です。
    ▪︎リスク・副作用について / 疼痛・腫れ・内出血・血管閉塞・アレルギー・感染・硬結など ※自由診療

女性 60代

No.00347

患部の状態

  • フェイスラインのもたつき
  • 頬のたるみ

本人のご要望

  • #糸リフトVOV
  • #ヒアルロン酸
  • Before
    手術前の状態
  • Before
    手術前の状態
  • Before
    手術前の状態
  • After
    手術後の状態 その1
  • After
    手術後の状態 その1
  • After
    手術後の状態 その1

施術内容・リスク

  • 施術内容・
    リスク
    【糸リフト】
    ▪︎通常価格 / ¥236,000〜¥597,600
    ▪︎治療回数 / 1回
    ▪︎治療内容 / 頬、フェイスラインのたるみの改善を図る目的とした施術です。
    ▪︎リスク・副作用について / 腫れ・痛み:2日〜1週間程度/内出血:1〜2週間程度 ※自由診療

    【ヒアルロン酸注入】
    ▪︎通常価格 / アラガン製1ccあたり ¥77,000 韓国製1ccあたり ¥38,500
    ▪︎治療回数 / 1回
    ▪︎治療内容 / しわや窪み、輪郭の改善を図ることを目的とした施術です。
    ▪︎リスク・副作用について / 疼痛・腫れ・内出血・血管閉塞・アレルギー・感染・硬結など ※自由診療