1. Home
  2. Facial slimming / Thread Lift

Thread Lift

Filtered Search

Displaying 1 - 20 results: 31 in total

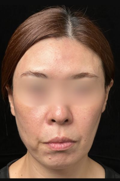
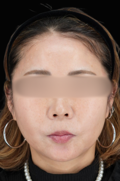
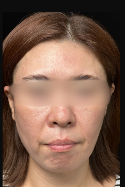
Woman 50's

No.00812

Condition of the Area

  • Sagging jawline
  • Facial sagging

Patient’s Request

  • #Hyaluronic Acid
  • #Thread Lift
  • Before
    Preoperative Condition Part 1
  • Before
    Preoperative Condition Part 1
  • Before
    Preoperative Condition Part 1
  • After
    Postoperative Condition Part 1
  • After
    Postoperative Condition Part 1
  • After
    Postoperative Condition Part 1

Procedure / Risks

  • Procedure / Risks
    【Thread Lift】
    ・Regular Price: ¥236,000〜¥597,600
    ・Number of procedures / 1
    ・Treatment Details: A procedure aimed at improving sagging in the cheeks and jawline.
    ・Risks & Side Effects: Swelling and pain lasting 2 days to 1 week, bruising lasting 1 to 2 weeks. ※private medical care

    【Hyaluronic Acid Injection】
    ・Regular Price: Allergan product / ¥77,000 per 1cc | Korean product / ¥38,500 per 1cc
    ・Number of treatments / 1 session
    ・Treatment Details: A procedure designed to reduce wrinkles, correct hollows, and improve facial contours.
    ・Risks & Side Effects: Pain, swelling, bruising, vascular obstruction, allergic reactions, infection, hardening, etc. ※private medical care

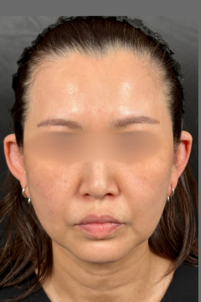
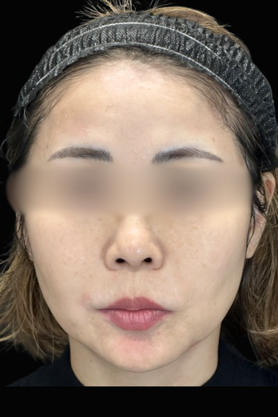
Woman 50's

No.00807

Condition of the Area

  • Sagging jawline
  • Facial sagging

Patient’s Request

  • #Hyaluronic Acid
  • #Thread Lift
  • Before
    Preoperative Condition Part 1
  • Before
    Preoperative Condition Part 1
  • Before
    Preoperative Condition Part 1
  • After
    Postoperative Condition Part 1
  • After
    Postoperative Condition Part 1
  • After
    Postoperative Condition Part 1

Procedure / Risks

  • Procedure / Risks
    【Sub-Brow Lift】
    ▪︎Regular price / ¥346,500
    ▪︎Number of procedures / 1
    ▪︎Treatment details / This is a procedure to improve sagging eyelids by incising the excess skin just below the eyebrows.
    ▪︎Risks and side effects / Swelling, bruising, infection, asymmetry, scars, redness, and unintended wrinkles ※Private Medical Care

    【Thread Lift】
    ・Regular Price: ¥236,000〜¥597,600
    ・Number of procedures / 1
    ・Treatment Details: A procedure aimed at improving sagging in the cheeks and jawline.
    ・Risks & Side Effects: Swelling and pain lasting 2 days to 1 week, bruising lasting 1 to 2 weeks. ※private medical care

    【Hyaluronic Acid Injection】
    ・Regular Price: Allergan product / ¥77,000 per 1cc | Korean product / ¥38,500 per 1cc
    ・Number of treatments / 1 session
    ・Treatment Details: A procedure designed to reduce wrinkles, correct hollows, and improve facial contours.
    ・Risks & Side Effects: Pain, swelling, bruising, vascular obstruction, allergic reactions, infection, hardening, etc. ※private medical care

Woman 40's

No.00716

Condition of the Area

  • Sagging jawline
  • Sagging cheeks

Patient’s Request

  • #Botox
  • #HIFU
  • #Thread Lift
  • Before
    Preoperative Condition Part 1
  • Before
    Preoperative Condition Part 1
  • Before
    Preoperative Condition Part 1
  • After
    Postoperative Condition Part 1
  • After
    Postoperative Condition Part 1
  • After
    Postoperative Condition Part 1

Procedure / Risks

  • Procedure / Risks
    【Thread Lift】
    ・Regular Price: ¥236,000〜¥597,600
    ・Number of procedures / 1
    ・Treatment Details: A procedure aimed at improving sagging in the cheeks and jawline.
    ・Risks & Side Effects: Swelling and pain lasting 2 days to 1 week, bruising lasting 1 to 2 weeks. ※private medical care

    【HIFU】
    ・Regular Price: ¥16,200 – ¥220,800
    ・Number of treatments / 1 session
    ・Treatment Details: Uses HIFU (High-Intensity Focused Ultrasound) to contract subdermal tissues, improving sagging skin and enhancing skin tightness.
    ・Risks & Side Effects: Redness lasting 1–2 weeks. ※private medical care

    【Botox】
    ・Regular Price: Allergan product / ¥7,800 per 1cc
    ・Number of treatments / 1 session
    ・Treatment Details: A procedure to temporarily relax muscles to improve expression lines, reduce prominent jawline, and alleviate stiff shoulders.
    ・Risks & Side Effects: Pain, swelling, bruising, allergic reactions, discomfort in facial expressions. Elective procedure, etc. ※private medical care

Woman 20's

No.00699

Condition of the Area

  • Prominent Jawline

Patient’s Request

  • #Thread Lift/PDO
  • #Hyaluronic Acid
  • #Slim down a prominent jawline
  • Before
    Preoperative Condition Part 1
  • Before
    Preoperative Condition Part 1
  • Before
    Preoperative Condition Part 1
  • After
    Postoperative Condition Part 1
  • After
    Postoperative Condition Part 1
  • After
    Postoperative Condition Part 1

Procedure / Risks

  • Procedure / Risks
    【Burial method/natural adhesion method】
    ▪︎Regular price / ¥14,800〜¥418,000
    ▪︎Number of procedures / 1
    ▪︎Treatment details / This is a procedure that creates double eyelids by fixing several parts of the eyelids with special threads.
    ▪︎Risks and side effects / Swelling, pain, internal bleeding: About 2 days to 2 weeks ※Private Medical Care

    【Lower eyelid Blepharoplasty】
    ▪︎Regular price / ¥19,800〜¥250,500
    ▪︎Number of procedures / 1
    ▪︎Treatment details / This is a treatment that removes only the excess fat that causes dark circles from the inner, central, and outer areas while adjusting the balance.
    ▪︎Risks and side effects / Bruising, swelling, redness, conjunctival edema ※Private Medical Care

    【Thread Lift】
    ・Regular Price: ¥236,000〜¥597,600
    ・Number of procedures / 1
    ・Treatment Details: A procedure aimed at improving sagging in the cheeks and jawline.
    ・Risks & Side Effects: Swelling and pain lasting 2 days to 1 week, bruising lasting 1 to 2 weeks. ※private medical care

    【Hyaluronic Acid Injection】
    ・Regular Price: Allergan product / ¥77,000 per 1cc | Korean product / ¥38,500 per 1cc
    ・Number of treatments / 1 session
    ・Treatment Details: A procedure designed to reduce wrinkles, correct hollows, and improve facial contours.
    ・Risks & Side Effects: Pain, swelling, bruising, vascular obstruction, allergic reactions, infection, hardening, etc. ※private medical care

Woman 40's

No.00626

Condition of the Area

  • Sagging jawline
  • Facial sagging

Patient’s Request

  • #Thread Lift/PDO
  • #Hyaluronic Acid
  • Before
    Preoperative Condition Part 1
  • Before
    Preoperative Condition Part 1
  • Before
    Preoperative Condition Part 1
  • After
    Postoperative Condition Part 1
  • After
    Postoperative Condition Part 1
  • After
    Postoperative Condition Part 1

Procedure / Risks

  • Procedure / Risks
    【Thread Lift】
    ・Regular Price: ¥236,000〜¥597,600
    ・Number of procedures / 1
    ・Treatment Details: A procedure aimed at improving sagging in the cheeks and jawline.
    ・Risks & Side Effects: Swelling and pain lasting 2 days to 1 week, bruising lasting 1 to 2 weeks. ※private medical care

    【Hyaluronic Acid Injection】
    ・Regular Price: Allergan product / ¥77,000 per 1cc | Korean product / ¥38,500 per 1cc
    ・Number of treatments / 1 session
    ・Treatment Details: A procedure designed to reduce wrinkles, correct hollows, and improve facial contours.
    ・Risks & Side Effects: Pain, swelling, bruising, vascular obstruction, allergic reactions, infection, hardening, etc. ※private medical care

Woman 40's

No.00612

Condition of the Area

  • Nasolabial folds
  • Sagging around the mouth

Patient’s Request

  • #Reduce nasolabial folds
  • #Thread Lift/PCL
  • Before
    Preoperative Condition Part 1
  • Before
    Preoperative Condition Part 1
  • Before
    Preoperative Condition Part 1
  • After
    Postoperative Condition Part 1
  • After
    Postoperative Condition Part 1
  • After
    Postoperative Condition Part 1

Procedure / Risks

  • Procedure / Risks
    【Thread Lift】
    ・Regular Price: ¥236,000〜¥597,600
    ・Number of procedures / 1
    ・Treatment Details: A procedure aimed at improving sagging in the cheeks and jawline.
    ・Risks & Side Effects: Swelling and pain lasting 2 days to 1 week, bruising lasting 1 to 2 weeks. ※private medical care

    【Hyaluronic Acid Injection】
    ・Regular Price: Allergan product / ¥77,000 per 1cc | Korean product / ¥38,500 per 1cc
    ・Number of treatments / 1 session
    ・Treatment Details: A procedure designed to reduce wrinkles, correct hollows, and improve facial contours.
    ・Risks & Side Effects: Pain, swelling, bruising, vascular obstruction, allergic reactions, infection, hardening, etc. ※private medical care

    【Botox】
    ・Regular Price: Allergan product / ¥7,800 per 1cc
    ・Number of treatments / 1 session
    ・Treatment Details: A procedure to temporarily relax muscles to improve expression lines, reduce prominent jawline, and alleviate stiff shoulders.
    ・Risks & Side Effects: Pain, swelling, bruising, allergic reactions, discomfort in facial expressions. Elective procedure, etc. ※private medical care

Man 40's

No.00600

Condition of the Area

  • Sagging jawline
  • Facial sagging

Patient’s Request

  • #Lim Thread
  • #Liposuction injection
  • Before
    Preoperative Condition Part 1
  • Before
    Preoperative Condition Part 1
  • Before
    Preoperative Condition Part 1
  • After
    Postoperative Condition Part 1
  • After
    Postoperative Condition Part 1
  • After
    Postoperative Condition Part 1

Procedure / Risks

  • Procedure / Risks
    【Lim Thread】
    ▪︎Regular price / ¥386,000
    ▪Number of procedures / 1
    ▪︎Treatment details / Fat suction injection × thread lift AND Cosmetic Surgery's unique small-faced surgery. Fat is removed with an ultra-fine needle without an incision, and sagging is lifted with a thread lift to more reliably realize the ideal small face.
    ▪︎About risks and side effects / Swelling and pain for about 2 days to 1 week Internal bleeding for about 1 to 2 weeks ※private medical care

Man 40's

No.00598

Condition of the Area

  • Sagging jawline
  • Facial sagging

Patient’s Request

  • #Lim Thread
  • Before
    Preoperative Condition Part 1
  • Before
    Preoperative Condition Part 1
  • Before
    Preoperative Condition Part 1
  • After
    Postoperative Condition Part 1
  • After
    Postoperative Condition Part 1
  • After
    Postoperative Condition Part 1

Procedure / Risks

  • Procedure / Risks
    【Lim Thread】
    ▪︎Regular price / ¥386,000
    ▪Number of procedures / 1
    ▪︎Treatment details / Fat suction injection × thread lift AND Cosmetic Surgery's unique small-faced surgery. Fat is removed with an ultra-fine needle without an incision, and sagging is lifted with a thread lift to more reliably realize the ideal small face.
    ▪︎About risks and side effects / Swelling and pain for about 2 days to 1 week Internal bleeding for about 1 to 2 weeks ※private medical care

Woman 20's

No.00594

Condition of the Area

  • Facial sagging
  • Nasolabial folds

Patient’s Request

  • #Hyaluronic Acid
  • #Botox
  • #Lim Thread
  • Before
    Preoperative Condition Part 1
  • Before
    Preoperative Condition Part 1
  • Before
    Preoperative Condition Part 1
  • After
    Postoperative Condition Part 1
  • After
    Postoperative Condition Part 1
  • After
    Postoperative Condition Part 1

Procedure / Risks

  • Procedure / Risks
    【Lim Thread】
    ▪︎Regular price / ¥386,000
    ▪Number of procedures / 1
    ▪︎Treatment details / Fat suction injection × thread lift AND Cosmetic Surgery's unique small-faced surgery. Fat is removed with an ultra-fine needle without an incision, and sagging is lifted with a thread lift to more reliably realize the ideal small face.
    ▪︎About risks and side effects / Swelling and pain for about 2 days to 1 week Internal bleeding for about 1 to 2 weeks ※private medical care

    【Botox】
    ・Regular Price: Allergan product / ¥7,800 per 1cc
    ・Number of treatments / 1 session
    ・Treatment Details: A procedure to temporarily relax muscles to improve expression lines, reduce prominent jawline, and alleviate stiff shoulders.
    ・Risks & Side Effects: Pain, swelling, bruising, allergic reactions, discomfort in facial expressions. Elective procedure, etc. ※private medical care

    【Hyaluronic Acid Injection】
    ・Regular Price: Allergan product / ¥77,000 per 1cc | Korean product / ¥38,500 per 1cc
    ・Number of treatments / 1 session
    ・Treatment Details: A procedure designed to reduce wrinkles, correct hollows, and improve facial contours.
    ・Risks & Side Effects: Pain, swelling, bruising, vascular obstruction, allergic reactions, infection, hardening, etc. ※private medical care

Woman 20's

No.00592

Condition of the Area

  • Sagging jawline

Patient’s Request

  • #Hyaluronic Acid
  • #Botox
  • Before
    Preoperative Condition Part 1
  • Before
    Preoperative Condition Part 1
  • Before
    Preoperative Condition Part 1
  • After
    Postoperative Condition Part 1
  • After
    Postoperative Condition Part 1
  • After
    Postoperative Condition Part 1

Procedure / Risks

  • Procedure / Risks
    【Lim Thread】
    ▪︎Regular price / ¥386,000
    ▪Number of procedures / 1
    ▪︎Treatment details / Fat suction injection × thread lift AND Cosmetic Surgery's unique small-faced surgery. Fat is removed with an ultra-fine needle without an incision, and sagging is lifted with a thread lift to more reliably realize the ideal small face.
    ▪︎About risks and side effects / Swelling and pain for about 2 days to 1 week Internal bleeding for about 1 to 2 weeks ※private medical care

    【Botox】
    ・Regular Price: Allergan product / ¥7,800 per 1cc
    ・Number of treatments / 1 session
    ・Treatment Details: A procedure to temporarily relax muscles to improve expression lines, reduce prominent jawline, and alleviate stiff shoulders.
    ・Risks & Side Effects: Pain, swelling, bruising, allergic reactions, discomfort in facial expressions. Elective procedure, etc. ※private medical care

    【Hyaluronic Acid Injection】
    ・Regular Price: Allergan product / ¥77,000 per 1cc | Korean product / ¥38,500 per 1cc
    ・Number of treatments / 1 session
    ・Treatment Details: A procedure designed to reduce wrinkles, correct hollows, and improve facial contours.
    ・Risks & Side Effects: Pain, swelling, bruising, vascular obstruction, allergic reactions, infection, hardening, etc. ※private medical care

Woman 40's

No.00360

Condition of the Area

  • Facial sagging
  • Nasolabial folds

Patient’s Request

  • #Thread Lift/VOV
  • #Liposuction
  • Before
    Preoperative Condition Part 1
  • Before
    Preoperative Condition Part 1
  • Before
    Preoperative Condition Part 1
  • After
    Postoperative Condition Part 1
  • After
    Postoperative Condition Part 1
  • After
    Postoperative Condition Part 1

Procedure / Risks

  • Procedure / Risks
    【Thread Lift】
    ・Regular Price: ¥236,000〜¥597,600
    ・Number of procedures / 1
    ・Treatment Details: A procedure aimed at improving sagging in the cheeks and jawline.
    ・Risks & Side Effects: Swelling and pain lasting 2 days to 1 week, bruising lasting 1 to 2 weeks. ※private medical care

    【Buccal Fat, Jowl Fat, and Malar Fat Removal】
    ・Regular Price: ¥200,000 each
    ・Number of procedures / 1
    ・Treatment Details: Removal of buccal fat, a cause of sagging and heavy facial contours, to achieve a more defined facial appearance.
    ・Risks & Side Effects: Fatigue, warmth, headache, hives, itching, swelling, fever, cough, cold sweats, chest pain, asymmetry, indentations, sunken cheeks, skin sagging, etc. ※private medical care

    【Liposuction (Cheeks and Under Chin)】
    ・Regular Price: ¥400,000
    ・Number of procedures / 1
    ・Treatment Details: A procedure that removes fat cells from the concerned areas with excess fat for contouring.
    ・Risks & Side Effects: Fatigue, warmth, headache, hives, itching, swelling, fever, cough, cold sweats, chest pain, hardened or uneven skin at suction sites, sensory numbness at the treated area, skin pigmentation, etc. ※private medical care

Woman 20's

No.00359

Condition of the Area

  • Sagging jawline

Patient’s Request

  • #Jawline slimming
  • Before
    Preoperative Condition Part 1
  • Before
    Preoperative Condition Part 1
  • Before
    Preoperative Condition Part 1
  • After
    Postoperative Condition Part 1
  • After
    Postoperative Condition Part 1
  • After
    Postoperative Condition Part 1

Procedure / Risks

  • Procedure / Risks
    【Thread Lift】
    ・Regular Price: ¥236,000〜¥597,600
    ・Number of procedures / 1
    ・Treatment Details: A procedure aimed at improving sagging in the cheeks and jawline.
    ・Risks & Side Effects: Swelling and pain lasting 2 days to 1 week, bruising lasting 1 to 2 weeks. ※private medical care

Woman 30's

No.00356

Condition of the Area

  • Nasolabial folds
  • Sagging cheeks

Patient’s Request

  • #Jawline slimming
  • #Tighten up sagging
  • Before
    Preoperative Condition Part 1
  • Before
    Preoperative Condition Part 1
  • Before
    Preoperative Condition Part 1
  • After
    Postoperative Condition Part 1
  • After
    Postoperative Condition Part 1
  • After
    Postoperative Condition Part 1

Procedure / Risks

  • Procedure / Risks
    【Thread Lift】
    ・Regular Price: ¥236,000〜¥597,600
    ・Number of procedures / 1
    ・Treatment Details: A procedure aimed at improving sagging in the cheeks and jawline.
    ・Risks & Side Effects: Swelling and pain lasting 2 days to 1 week, bruising lasting 1 to 2 weeks. ※private medical care

    【Fat-Dissolving Injection】
    ・Regular Price: ¥3,500 – ¥5,000 per 1cc
    ・Number of treatments / 3~5
    ・Duration of treatments / 1week~2 months
    ・Treatment Details: An injection that dissolves fat cells, helping to expel them from the body.
    ・Risks & Side Effects: Bruising, redness, swelling, pain, tightness, warmth, hardening at the injection site, etc. ※private medical care

Woman 30's

No.00355

Condition of the Area

  • Sagging jawline
  • Sagging cheeks

Patient’s Request

  • #Reduce nasolabial folds
  • #Thread Lift/PDO
  • #Botox
  • Before
    Preoperative Condition Part 1
  • Before
    Preoperative Condition Part 1
  • Before
    Preoperative Condition Part 1
  • After
    Postoperative Condition Part 1
  • After
    Postoperative Condition Part 1
  • After
    Postoperative Condition Part 1

Procedure / Risks

  • Procedure / Risks
    【Thread Lift】
    ・Regular Price: ¥236,000〜¥597,600
    ・Number of procedures / 1
    ・Treatment Details: A procedure aimed at improving sagging in the cheeks and jawline.
    ・Risks & Side Effects: Swelling and pain lasting 2 days to 1 week, bruising lasting 1 to 2 weeks. ※private medical care

    【Botox】
    ・Regular Price: Allergan product / ¥7,800 per 1cc
    ・Number of treatments / 1 session
    ・Treatment Details: A procedure to temporarily relax muscles to improve expression lines, reduce prominent jawline, and alleviate stiff shoulders.
    ・Risks & Side Effects: Pain, swelling, bruising, allergic reactions, discomfort in facial expressions. Elective procedure, etc. ※private medical care

Woman 40's

No.00351

Condition of the Area

  • Facial sagging
  • Nasolabial folds

Patient’s Request

  • #Jawline slimming
  • #Tighten up sagging
  • #Botox
  • Before
    Preoperative Condition Part 1
  • Before
    Preoperative Condition Part 1
  • Before
    Preoperative Condition Part 1
  • After
    Postoperative Condition Part 1
  • After
    Postoperative Condition Part 1
  • After
    Postoperative Condition Part 1

Procedure / Risks

  • Procedure / Risks
    【Thread Lift】
    ・Regular Price: ¥236,000〜¥597,600
    ・Number of procedures / 1
    ・Treatment Details: A procedure aimed at improving sagging in the cheeks and jawline.
    ・Risks & Side Effects: Swelling and pain lasting 2 days to 1 week, bruising lasting 1 to 2 weeks. ※private medical care

    【Buccal Fat, Jowl Fat, and Malar Fat Removal】
    ・Regular Price: ¥200,000 each
    ・Number of procedures / 1
    ・Treatment Details: Removal of buccal fat, a cause of sagging and heavy facial contours, to achieve a more defined facial appearance.
    ・Risks & Side Effects: Fatigue, warmth, headache, hives, itching, swelling, fever, cough, cold sweats, chest pain, asymmetry, indentations, sunken cheeks, skin sagging, etc. ※private medical care

    【Botox】
    ・Regular Price: Allergan product / ¥7,800 per 1cc
    ・Number of treatments / 1 session
    ・Treatment Details: A procedure to temporarily relax muscles to improve expression lines, reduce prominent jawline, and alleviate stiff shoulders.
    ・Risks & Side Effects: Pain, swelling, bruising, allergic reactions, discomfort in facial expressions. Elective procedure, etc. ※private medical care

Woman 40's

No.00349

Condition of the Area

  • Nasolabial folds
  • Sagging cheeks

Patient’s Request

  • #Tighten up sagging
  • #Thread Lift/PDO
  • #Hyaluronic Acid
  • Before
    Preoperative Condition Part 1
  • Before
    Preoperative Condition Part 1
  • Before
    Preoperative Condition Part 1
  • After
    Postoperative Condition Part 1
  • After
    Postoperative Condition Part 1
  • After
    Postoperative Condition Part 1

Procedure / Risks

  • Procedure / Risks
    【Thread Lift】
    ・Regular Price: ¥236,000〜¥597,600
    ・Number of procedures / 1
    ・Treatment Details: A procedure aimed at improving sagging in the cheeks and jawline.
    ・Risks & Side Effects: Swelling and pain lasting 2 days to 1 week, bruising lasting 1 to 2 weeks. ※private medical care

    【Hyaluronic Acid Injection】
    ・Regular Price: Allergan product / ¥77,000 per 1cc | Korean product / ¥38,500 per 1cc
    ・Number of treatments / 1 session
    ・Treatment Details: A procedure designed to reduce wrinkles, correct hollows, and improve facial contours.
    ・Risks & Side Effects: Pain, swelling, bruising, vascular obstruction, allergic reactions, infection, hardening, etc. ※private medical care

Woman 30's

No.00343

Condition of the Area

  • Nasolabial folds
  • Sagging cheeks

Patient’s Request

  • #Jawline slimming
  • #Tighten up sagging
  • #Botox
  • Before
    Preoperative Condition Part 1
  • Before
    Preoperative Condition Part 1
  • Before
    Preoperative Condition Part 1
  • After
    Postoperative Condition Part 1
  • After
    Postoperative Condition Part 1
  • After
    Postoperative Condition Part 1

Procedure / Risks

  • Procedure / Risks
    【Thread Lift】
    ・Regular Price: ¥236,000〜¥597,600
    ・Number of procedures / 1
    ・Treatment Details: A procedure aimed at improving sagging in the cheeks and jawline.
    ・Risks & Side Effects: Swelling and pain lasting 2 days to 1 week, bruising lasting 1 to 2 weeks. ※private medical care

    【Botox】
    ・Regular Price: Allergan product / ¥7,800 per 1cc
    ・Number of treatments / 1 session
    ・Treatment Details: A procedure to temporarily relax muscles to improve expression lines, reduce prominent jawline, and alleviate stiff shoulders.
    ・Risks & Side Effects: Pain, swelling, bruising, allergic reactions, discomfort in facial expressions. Elective procedure, etc. ※private medical care

Woman 20's

No.00342

Condition of the Area

  • Facial sagging
  • Nasolabial folds

Patient’s Request

  • #Tighten up sagging
  • #Thread Lift/PDO
  • Before
    Preoperative Condition Part 1
  • Before
    Preoperative Condition Part 1
  • Before
    Preoperative Condition Part 1
  • After
    Postoperative Condition Part 1
  • After
    Postoperative Condition Part 1
  • After
    Postoperative Condition Part 1

Procedure / Risks

  • Procedure / Risks
    【Thread Lift】
    ・Regular Price: ¥236,000〜¥597,600
    ・Number of procedures / 1
    ・Treatment Details: A procedure aimed at improving sagging in the cheeks and jawline.
    ・Risks & Side Effects: Swelling and pain lasting 2 days to 1 week, bruising lasting 1 to 2 weeks. ※private medical care

    【Hyaluronic Acid Injection】
    ・Regular Price: Allergan product / ¥77,000 per 1cc | Korean product / ¥38,500 per 1cc
    ・Number of treatments / 1 session
    ・Treatment Details: A procedure designed to reduce wrinkles, correct hollows, and improve facial contours.
    ・Risks & Side Effects: Pain, swelling, bruising, vascular obstruction, allergic reactions, infection, hardening, etc. ※private medical care

    【Fat-Dissolving Injection】
    ・Regular Price: ¥3,500 – ¥5,000 per 1cc
    ・Number of treatments / 3~5
    ・Duration of treatments / 1week~2 months
    ・Treatment Details: An injection that dissolves fat cells, helping to expel them from the body.
    ・Risks & Side Effects: Bruising, redness, swelling, pain, tightness, warmth, hardening at the injection site, etc. ※private medical care

Woman 40's

No.00337

Condition of the Area

  • Nasolabial folds
  • Sagging cheeks

Patient’s Request

  • #Thread Lift/PDO
  • #Liposuction
  • #Botox
  • Before
    Preoperative Condition Part 1
  • Before
    Preoperative Condition Part 1
  • Before
    Preoperative Condition Part 1
  • After
    Postoperative Condition Part 1
  • After
    Postoperative Condition Part 1
  • After
    Postoperative Condition Part 1

Procedure / Risks

  • Procedure / Risks
    【Thread Lift】
    ・Regular Price: ¥236,000〜¥597,600
    ・Number of procedures / 1
    ・Treatment Details: A procedure aimed at improving sagging in the cheeks and jawline.
    ・Risks & Side Effects: Swelling and pain lasting 2 days to 1 week, bruising lasting 1 to 2 weeks. ※private medical care

    【Botox】
    ・Regular Price: Allergan product / ¥7,800 per 1cc
    ・Number of treatments / 1 session
    ・Treatment Details: A procedure to temporarily relax muscles to improve expression lines, reduce prominent jawline, and alleviate stiff shoulders.
    ・Risks & Side Effects: Pain, swelling, bruising, allergic reactions, discomfort in facial expressions. Elective procedure, etc. ※private medical care

    【Liposuction (Cheeks and Under Chin)】
    ・Regular Price: ¥400,000
    ・Number of procedures / 1
    ・Treatment Details: A procedure that removes fat cells from the concerned areas with excess fat for contouring.
    ・Risks & Side Effects: Fatigue, warmth, headache, hives, itching, swelling, fever, cough, cold sweats, chest pain, hardened or uneven skin at suction sites, sensory numbness at the treated area, skin pigmentation, etc. ※private medical care

Woman 40's

No.00335

Condition of the Area

  • Facial sagging
  • Nasolabial folds

Patient’s Request

  • #Jawline slimming
  • #Thread Lift/PDO
  • Before
    Preoperative Condition Part 1
  • Before
    Preoperative Condition Part 1
  • Before
    Preoperative Condition Part 1
  • After
    Postoperative Condition Part 1
  • After
    Postoperative Condition Part 1
  • After
    Postoperative Condition Part 1

Procedure / Risks

  • Procedure / Risks
    【Thread Lift】
    ・Regular Price: ¥236,000〜¥597,600
    ・Number of procedures / 1
    ・Treatment Details: A procedure aimed at improving sagging in the cheeks and jawline.
    ・Risks & Side Effects: Swelling and pain lasting 2 days to 1 week, bruising lasting 1 to 2 weeks. ※private medical care